Bildegalleri

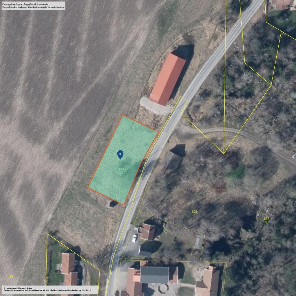
Naturnära friköpt tomt i Näsinge strax utanför Strömtad
Nøkkelinfo
Visning
Ta kontakt for å avtale visning.Om eiendommen
Beskrivning
Upptäck möjligheterna med denna fantastiska tomt på Näsinge 6 beläget strax utanför Strömstad, där drömmen om att skapa ditt eget hem kan förverkligas. Med en generös tomtarea på 1 214 kvadratmeter erbjuder denna friköpta tomt en idealisk plats för att bygga ditt framtida boende. Här har du friheten att designa och skapa ett hem som speglar din unika livsstil och smak.
Den naturnära omgivningen bjuder in till rofyllda stunder och natursköna promenader, samtidigt som du har bekvämligheten av att ha kommunalt vatten och avlopp. Detta gör det enklare och smidigare att påbörja byggnadsprojektet och ger dig mer tid att fokusera på att planera ditt drömhus.
Platsen är perfekt för dig som söker en harmonisk miljö, där du kan njuta av både lugn och närheten till Strömstads charmiga centrum. Här finns alla förutsättningar för att skapa ett hem som kombinerar modern komfort med naturskön omgivning. Ta chansen att forma din framtid på denna unika tomt – ett hem där du kan skapa minnen för livet. Välkommen till ditt nya kapitel i Strömstad!
Ekonomi
Pris: 650 000 kr utgångspris
Taxeringsvärde: 132 000 kr (fastställt 2024)
Typkod för taxeringsvärde: 210, Småhusenhet, tomtmark
Nyttige lenker
Svensk Fastighetsförmedling
Nærområdet
Annonsene kan være mangelfulle i forhold til lovpålagt opplysningsplikt. Før bindende avtale inngås oppfordres interessenter til å innhente komplett informasjon fra meglerforetaket, selger eller utleier.





