Bildegalleri

Velkommen til Istjernryggen - tomt H238 - Presentert av Nordvik Bolig / Christer Barman Gabrielsen - 950 41 364 - Foto Ole Edvin Tangen
Turufjell - under 2 timer fra Oslo - Byggeklar hyttetomt inkl tilknytningsavgift. Langrenn og alpinanlegg rett ved
- Totalpris
- 991 892 kr
- Omkostninger
- 41 892 kr
Nøkkelinfo
Visning
Om eiendommen
Kort om eiendommen
Byggeklar og meget attraktivt beliggende tomt like ved alpinanlegg, langrennsløyper og turområde.
Tomten ligger barnevennlig til på feltet Istjern, med noen få minutters gangavstand til alpinanlegget og "sentrumsområdet" på Turufjell med alle fasilitetene. Samtidig er beliggenheten tilbaketrukket og rolig med gode solforhold. Tomten ligger fint i terrenget, er byggeklar med vei, vann og avløp samt strøm og fiber lagt i grøft/tomtegrense.
Det tilrettelegges også for sykkel i samme område med BMX-park (se bilder) for ulike ferdighetsnivå og en av Norges største Pumptrack.
Turufjell er en av Norges mest spennende helårsdestinasjoner, området utvikles av Olav Thon gruppen og Fredensborg Fritid.
Dette er en sjelden mulighet til å sikre deg en en tomt nært "alt" på Turufjell!
Beliggenhet
Velkommen til Turufjell, Norges kanskje mest spennende helårsdestinasjon. Under 2 timer fra Oslo.
Turufjell ligger i Flå (mellom Hønefoss og Geilo/Hemsedal), hvor store aktører i Olav Thon gruppen og Fredensborg fritid utvikler området. På Turufjell legges det vekt på varierte aktiviteter hele året hvor man på vinteren finner et familievennlig alpinanlegg og et fantastisk langrennsterreng innover i Vassfarfjellet.
Her er det flotte familieløyper mellom Veneli og Solheimseter. For langturen kan man komme inn på Eventyrløypa og gå milevis på snaufjellet!
Se også løypekart her: https://skisporet.no/setView/60.4686424/9.4962215/11/norges_grunnkart
I dag finnes det 2 skiheiser og 7 alpinbakker for alle nivåer, alt fra barnevennlige familiebakker til viderekommende nedfarter. Det planlegges også en lengre stolheis/fjellheis opp mot Kristnatten med flere bakker. Se også her: https://turufjell.no/aktiviteter/
På sommeren byr Turufjell på et flott turterreng med flere turmuligheter og toppturer i nærområdet, samt lengre fotturer innover i Vassfaret. Både korte og lengre turstier via idylliske fiskevann og gamle setervoller, herunder Vassfaret natur- og kultursti, Veneli fjellskog- og kultursti for å nevne noen. For toppturer er det også mange muligheter og man kan fra hytta gå til blant annet Kristnatten (1077 moh), (Blåfjell 1154 moh), Likkistefjell (990 moh), Sørbølfjell (1284 MOH) m.m.
På Turufjell finnes Hallingdals største og en av Norges største Pump Track´s samt en BMX park med løyper i ulike vanskelighetsgrader, alt fra de aller minste til de mest spenstige kan utfolde seg på sykkelen. i 2023 kommer det også en "Flytsti" for sykkel i alpinanlegget. Videre utvikles det flere sykkelstier og turstier i fjellet.
Flå sentrum ligger 15 min unna og har et kjøpesenter (Bjørneparken kjøpesenter) med et godt utvalg av det meste man trenger og like ved ligger Bjørneparken dyrepark. Bjørneparken er åpen fra tidlig vår til sen høst og er et fantastisk sted for dyreopplevelser. Alt fra typiske Norske skogsdyr til mer eksotiske skapninger kan oppleves der.
Turufjell er med andre ord en hyggelig familiedestinasjon med et bredt aktivitetstilbud for alle aldre. Alt sammen venter på deg under 2 timer fra Oslo, omtrent halvparten av tiden du bruker til de mer tradisjonelle hytteområdene lenger opp i dalen.
Turufjell, et område med utallige muligheter for storslåtte naturopplevelser for hele familien, året rundt. Her har man vidstrakt utsikt mot sydvest, meget gode solforhold og rikelig med "boltreplass". Her kan du sitte i solveggen på den nye hytta eller gå rett inn i turterreng like utenfor døren.
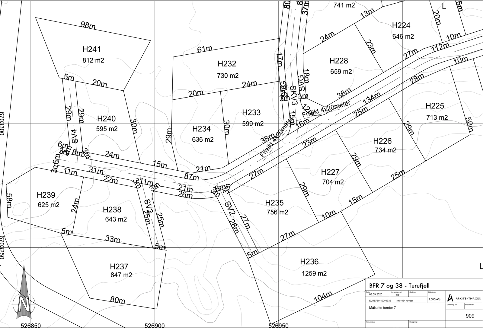
Tomt H233 ligger attraktivt til med kort gangavstand til alle fasiliteter på Turufjell
For mer informasjon om området se www.turufjell.no eller ta kontakt for visning og mer informasjon.
Christer B Gabrielsen 950 41 364.
Velkommen til Turufjell!
Tomt
Byggeklar tomt med moderne infrastruktur. Inkludert vei, vann, avløp, strøm og fiber.
Terrenget er lett skrånende naturtomt. Tomten selges med tilknytning til vei, vann, avløp strøm og fiber i tomtegrense. Ingen tilknytningsavgifter.
Tomten kan ha inntil tre bygg, dvs. et fritidshus, et anneks og et uthus/garasje Utnyttingsgraden er maksimalt 236 m2 BYA. Innenfor dette arealet kan summen av fritidshus og anneks være på inntil 150 m2. Annekset kan ikke være større enn 50 m2. Uthus/garasje kan være på inntil 50 m2. Det er krav om to parkeringsplasser á 18 m2 pr. fritidsbolig som er regnet med i utnyttingsgraden for tomta.
Fritidshus kan ha flatt tak, pulttak eller saltak. Maksimal gesimshøyde ved flatt tak er 4 meter og ved pulttak 6 meter. Maksimal mønehøyde for saltak er 6 meter.
Alle mål er målt over gjennomsnittsnivå på terreng.
I fasaden på bygningene skal det brukes materiale som tre, glas og/eller stein, bortsett i fra grunnmur.
Taktekking skal være jord/torvtak, tre, skifer eller papp i svart/gråtoner.
Pris inkluderer tilkobling til offentlig vann og avløpsnett.
Regulerings og arealplaner
Utnyttelsen av tomtene er regulert av regulerings- føresegn vedlagt, områdeplan Turufjell og detalj- reguleringsplanen som gjelder for området, samt av ovennevnte.
Eiendommen er underlagt regler om konsesjon, som medfører at egenerklæring om konsesjonsfrihet må utstedes. Ingen odel.
Hyttene er en del av Turufjell der det på over tid skal skilles ut og selges et stort antall tomter, hytter og leiligheter. Turufjell planlegges utviklet med bl.a. hyttefelter, alpinanlegg, løypenett med mer.
Følgende infrastruktur er/blir etablert og er inkludert i kjøpesum for hyttene:
- Rett til bruk av grunneiers hovedvei med bomanlegg til hytteområde, og felles tilkomstveier i hytteområde for tilkomst til Kjøpers egen tomt mot bomavgift og vederlag for andel av veivedlikehold inklusive brøyting. Eiendommen ved hjemmelshaver plikter å halvårlig betale grunneier av tilkomstveier for veivedlikehold av tilkomstveier.
- Rett til tilknytning til nytt kommunalt VA anlegg fra Flå sentrum og til tomtegrense. Private stikkledninger fra koblingspunkt, inklusive separat stengeventil er Kjøpers ansvar. Årlige VA avgifter fastsettes av Flå kommune med hjemmel i forskrift, og finnes på kommunens nettside: http://www.flaa.kommune.no/ teknisk-eiendom-og-naring/betalingssatser034 Informasjon om boligen avgifter-og-gebyr/
- Nytt El og fiberanlegg langs hovedvei med stikk inn til tomtegrense. Kjøper betaler avgifter til nett-, energi- og teleselskap.
- Renovasjonspunkt i hytteområde. Kommunen forestår renovasjon og fastsetter årlige kommunale avgifter etter forskrift, se kommunens nettside http:// www.flaa.kommune.no/teknisk-eiendom-og-naring/ betalingssatser-avgifter-og-gebyr/
Kjøper forplikter seg til å knytte seg til den nevnte infrastruktur. Kjøper forplikter seg til at tilknytning til og videreføring av infrastruktur utføres av autoriserte fagfolk og utføres så skånsomt som mulig i terrenget og i henhold til planbestemmelsene i detaljreguleringsplan, jf. vedlegg. Kjøper er innforstått med at hoved- ledningsnettet, og eventuelt ledningsnett til andre tomter, kan bli ført over Tomtens grenseareal.
Reguleringsbestemmelser som gjelder for Sprenåsgrenda:
Fritidsbygg konsentrert (BFK)
1. Utnytting og plassering
- Det kan samla for alle BFK-føremål byggast inntil 25 frittståande einingar. Kvar tomt kan ha fleire fritidshus. Bygg skal plasserast med omsyn til terreng, og ligge mest mogleg i balanse mellom skjering og fylling.
- Utnyttingsgrad samla for alle BFK-føremål er 3000m2 BYA. Innanfor dette arealet kan fritidshusa vere på inntil 85 m2. Det er krav om 1,5 parkerings- plass pr. eining. Kvar p-plass skal reknast med eit areal på 18m2 som vert rekna med i utnyttingsgraden for tomta.
2. Utforming og materialbruk
- Fritidshus kan ha flatt tak, pulttak eller saltak. Maksimal gesimshøge ved flatt tak er 4 meter og ved pulttak 6 meter. Maksimal mønehøgde for saltak er 6 meter. Alle mål er målt over gjennomsnittsnivå på terreng.
- I fasaden på bygningane skal det, i tillegg til konstruksjonsmaterialet (for eksempel betong, stål) nyttast materiale som tre, glas og/eller stein.
- Taktekking skal vere jord/torvtak, tre, skifer eller papp i svart/gråtonar.
Se forøvrig vedlegg reguleringsbestemmelsene for Sprenåsen og Turufjell.
Ligningsverdi / formuesverdi
Formuesverdi for inntektsåret 2022: kr 960 000,-
Heftelser / servitutter
På eiendommen er det tinglyst følgende heftelser og rettigheter som følger eiendommens matrikkel ved overskjøting til ny hjemmelshaver:
3320/10/404:
17.07.2019 - Dokumentnr: 834607 - Forbud mot næringsvirksomhet
17.07.2019 - Dokumentnr: 834607 - Erklæring/avtale
Pliktig medlemsskap i løypelag
17.07.2019 - Dokumentnr: 834607 - Erklæring/avtale
Bestemmelse om beplantning/vegetasjon/hekk
17.07.2019 - Dokumentnr: 834607 - Erklæring/avtale
Rettighetshaver: Knr:3320 Gnr:10 Bnr:12
Rettighetshaver: Knr:3320 Gnr:10 Bnr:352
Bestemmelse om halvårlig avgift for vedlikehold av tilkomstveier
17.07.2019 - Dokumentnr: 834607 - Bestemmelse om medlemskap i velforening/huseierforening
20.05.2019 - Dokumentnr: 564160 - Registrering av grunn
Denne matrikkelenhet opprettet fra:
Knr:3320 Gnr:10 Bnr:352
01.01.2020 - Dokumentnr: 1513560 - Omnummerering ved kommuneendring
Tidligere: Knr:0615 Gnr:10 Bnr:404
01.01.2024 - Dokumentnr: 272185 - Omnummerering ved kommuneendring
Tidligere: Knr:3039 Gnr:10 Bnr:404
Ferdigattest / brukstillatelse
Det kan være avvik fra dagens rombruk/rombenevnelser sammenlignet med det som er byggemeldt/godkjent.
Diverse
Kjøper og selger er forpliktet til å undertegne standard kjøpekontrakt utarbeidet av Nordvik i forbindelse med eiendomstransaksjonen. Kjøpekontrakt kan besiktiges hos eiendomsmegler før bud inngis. Kontakt eiendomsmegler for spørsmål.
Selger leverer eiendommen i ryddig og rengjort stand.
Adkomst
Følg E16 fra Sandvika mot Hønefoss. Fra Hønefoss følger du riksvei 7 nordover, forbi Sokna og Hallingporttunellen i Gulsvik mot Gol. Ta til høyre rett før Flå sentrum på fylkesvei 203 skiltet mot Turufjell. Følg denne 2 km til avkjøring opp mot Turufjell, kjør deretter ca. 3 km opp Heivegen og ta til høyre over broen. Etter broen er det ca. 5 km til baseområdet i Turufjell.
Sentrale lover
Generelle bestemmelser
Alle innvendige og utvendige arealangivelser, samt beskrivelser av bygningen er hentet fra vedlagte tilstandsrapport/boligsalgsrapport. Salgsoppgaven er basert på de opplysningene selger har gitt til megler, den bygningssakkyndiges tilstandsrapport, samt opplysninger innhentet fra kommunen, Kartverket og andre tilgjengelige kilder. Det er viktig at kjøper setter seg grundig inn i alle salgsdokumentene, herunder salgsoppgave, tilstandsrapport og selgers egenerklæring. Kjøper anses kjent med forhold som er tydelig beskrevet i salgsdokumentene, og slike forhold kan ikke påberopes som mangler. Dette gjelder uavhengig av om kjøper har lest dokumentene.
Det kan være avvik fra dagens rombruk/rombenevnelser sammenlignet med det som er byggemeldt/godkjent. Alle interessenter oppfordres til å undersøke eiendommen nøye, gjerne sammen med fagkyndig før bud inngis. Kjøper som velger å kjøpe usett kan ikke gjøre gjeldende som mangel noe han burde blitt kjent med ved undersøkelsen.
Dersom det er behov for avklaringer, anbefaler vi at interessenter rådfører seg med eiendomsmegler eller egne rådgivere før det legges inn bud.
En bolig som har blitt brukt i en viss tid, har vanligvis blitt utsatt for slitasje og skader kan ha oppstått. Slik bruksslitasje må kjøper regne med, og det kan avdekkes enkelte forhold etter overtakelse som nødvendiggjør utbedringer. Normal slitasje og skader som nødvendiggjør utbedring, er innenfor hva kjøper må forvente og vil ikke utgjøre en mangel.
Kjøper og selgers rettigheter og plikter reguleres av avtalen mellom partene, samt informasjonen som har vært tilgjengelig for kjøperen i forbindelse med handelen. Avtalen utfylles av avhendingsloven, og det gjelder ulike avtalevilkår avhengig av om kjøper er forbrukerkjøper eller ikke. Dette er nærmere beskrevet nedenfor.
På grunn av ulike avtalevilkår kan selger vurdere bud fra en som ikke er forbruker, ulikt fra en forbrukers bud. Dersom kjøper ikke er forbruker, er selger sitt mulige mangelsansvar begrenset fordi eiendommen selges "som den er". Selger kan ikke ta som den er forbehold ovenfor en forbrukerkjøper. Selv et lavere bud fra en som ikke er forbruker kan foretrekkes fordi begrensningen i mulig mangelsansvar kan ha egenverdi for selger. Selger står fritt til å forkaste eller akseptere ethvert bud, og er for eksempel ikke forpliktet til å akseptere høyeste bud.
Budgiver skal i budskjema avgi egenerklæring om budgiver er forbruker eller næringsdrivende/ person som hovedsakelig handler som ledd i næringsvirksomhet. Budgivere får informasjon dersom andre bud er inngitt av en som ikke er forbruker.
Forbrukerkjøp - definisjon
Med forbrukerkjøp menes kjøp av eiendom når kjøperen er en fysisk person som ikke hovedsakelig handler som ledd i næringsvirksomhet.
Forbruker avtalevilkår
Eiendommen har en mangel dersom den ikke er i samsvar med kravene som følger av avtalen, eller det foreligger brudd på bestemmelsene i avhendingsloven §§ 3-2 til 3-8. Hvis eiendommen ikke er i samsvar med det kjøperen må kunne forvente ut ifra alder, type og synlig tilstand, kan det være grunnlag for mangelskrav. Det samme gjelder hvis det er holdt tilbake eller gitt uriktige opplysninger om eiendommen. Dette gjelder likevel bare dersom man kan gå ut ifra at det virket inn på avtalen at opplysningen ikke ble gitt eller at feil uriktige opplysninger ikke blir rettet i tide på en tydelig måte.
Boligen kan ha en mangel etter avhendingsloven § 3-3 dersom det er avvik mellom opplyst og faktisk innvendig areal, forutsatt at avviket er på 2% eller mer og minimum 1 kvm.
Ved beregning av et eventuelt prisavslag eller erstatning må kjøper selv dekke tap/kostnader opptil et beløp på kr 10 000 (egenandel).
Ikke-forbruker (næringsdrivende) definisjon
Hvis kjøper er en juridisk person, eller en fysisk person som hovedsakelig handler som ledd i næringsvirksomhet, vil kjøpet ikke anses som et forbrukerkjøp.
Ikke-forbruker avtalevilkår
Eiendommen har en mangel dersom den ikke er i samsvar med kravene som følger av avtalen. Eiendommen selges som den er , og selgers ansvar utover det konkret avtalte er da begrenset etter avhendingsloven § 3-9, første ledd andre setning.
Avhendingsloven § 3-3 andre ledd fravikes, og hvorvidt boligens arealsvikt utgjør en mangel vurderes etter avhendingsloven § 3-8.
Informasjon om kjøpers undersøkelsesplikt, herunder oppfordringen om å undersøke eiendommen nøye, gjelder også for kjøpere som ikke anses som forbrukere.
Hvitvaskingsregelverk
Eiendomsmeglere er underlagt lov om hvitvasking og tilhørende forskrift. Hvis kjøper ikke bidrar til at megler får gjennomført kundekontroll og dette fører til at transaksjonen ikke kan gjennomføres eller blir forsinket, misligholder kjøper avtalen. Etter 30 dager er misligholdet vesentlig. Dette gir selger rett til å heve og gjennomføre dekningssalg for kjøpers regning.
Hvis kundekontroll ikke lar seg gjennomføre, vil Nordvik Eiendomsmegling ikke kunne bistå med handelen eller foreta oppgjør.
Budgivning
Alle bud skal inngis skriftlig til megler, som formidler disse videre til selger. Kravet til skriftlighet gjelder også budforhøyelser og motbud, aksept eller avslag fra selger.
Bud kan legges inn på eiendommens finn-annonse ved å trykke på knappen gi bud eller via vår hjemmeside. Ved elektronisk budgivning legges bud inn ved å benytte BankID. Bud kan også inngis på budskjema vedlagt i salgsoppgaven.
Før megler formidler bud til selger, skal megler innhente gyldig legitimasjon og signatur fra budgiver. Kravet til legitimasjon og signatur er oppfylt for budgivere som benytter e-signatur, eksempelvis BankID eller MinID. Senere bud kan inngis per e-post eller SMS til megler.
Et bud bør inneholde eiendommens adresse (eventuelt gnr/bnr), kjøpesum, budgivers kontaktinformasjon, finansieringsplan, akseptfrist, overtakelsesdato og eventuelle forbehold som for eksempel usikker finansiering, salg av nåværende bolig ol. Normalt vil ikke et bud med forbehold bli akseptert før forbeholdet er avklart. Konferer gjerne med megler før bud avgis.
Megler skal legge til rette for en forsvarlig avvikling av budrunden. I forbrukerforhold (dvs. der selger er forbruker) skal megleren ikke formidle bud med kortere akseptfrist enn kl. 12.00 første virkedag etter siste annonserte visning. Senere bud må ha en tilstrekkelig lang akseptfrist til at megler, så langt det er nødvendig og mulig, kan videreformidle budet og eventuelle forbehold til alle involverte parter og legge til rette for at disse får tid til å områ seg, jf. forskrift om eiendomsmegling § 6-3. Akseptfrist bør derfor være på minimum 30 minutter, og budforhøyelser bør skje senest 10 minutter før fristens utløp. Dersom bud inngis med en frist som åpenbart er for kort til at megleren kan avvikle budrunden på en forsvarlig måte, vil megler fraråde budgiver å stille slik frist. Megleren vil uoppfordret gi sin vurdering av det enkelte bud overfor selgeren, når budet er gitt innenfor akseptfristene ovenfor.
Megler skal så snart som mulig bekrefte skriftlig overfor budgivere at budene deres er mottatt.
Etter at handel har kommet i stand, eller dersom en budrunde avsluttes uten at handel er kommet i stand, kan en budgiver kreve kopi av budjournalen i anonymisert form.
Kopi av budjournal skal gis til kjøper og selger uten ugrunnet opphold etter at handel er kommet i stand. Dersom det er viktig for budgiver å bevare sin anonymitet, bør budet fremmes gjennom fullmektig.
For mer informasjon om budgivningsprosessen, se Forbrukerinformasjon om budgivning , som er vedlagt salgsoppgaven, eller ta kontakt med megler.
Ansvarlig megler
Christer Barman Gabrielsen
Nyttige lenker
Nordvik Majorstuen
Nærområdet
Annonseinformasjon
| FINN-kode | 449322435 |
|---|---|
| Sist endret | 03. feb. 2026 08:56 |
| Referanse | 8-0030/21 |
Annonsene kan være mangelfulle i forhold til lovpålagt opplysningsplikt. Før bindende avtale inngås oppfordres interessenter til å innhente komplett informasjon fra meglerforetaket, selger eller utleier.







































