Bildegalleri

Eiendomsmegler1 Vestby/Son v/ Erik Nickelsen har den glede av å presentere boligtomt i Bruerveien 44A (Tomt C) i Hølen.
Bruerveien i Hølen | Attraktiv og sentrumsnær boligtomt. | Vestvendt, flott utsyn og solrikt | Barnevennlig og rolig
- Totalpris
- 1 948 840 kr
- Omkostninger
- 48 840 kr
Pris på lån: fra 7 690 kr/mnd
Eff.rente 5,00 %. 1 330 000 o/25 år. Kostnad: 977 000 kr. Totalt 2 307 000 kr.
LånekalkulatorNøkkelinfo
Om eiendommen
Kort om eiendommen
Bruerveien i Hølen | Attraktiv og sentrumsnær boligtomt. | Vestvendt, flott utsyn og solrikt | Barnevennlig og rolig
Kort om eiendommen
- Boligtomt beliggende i et veletablert boligområde.
- Svært barnevennlig - rolig og tilbaketrukket.
- Gangavstand til barnehage og barneskole.
- Eiertomt 701 m2, jordtomt.
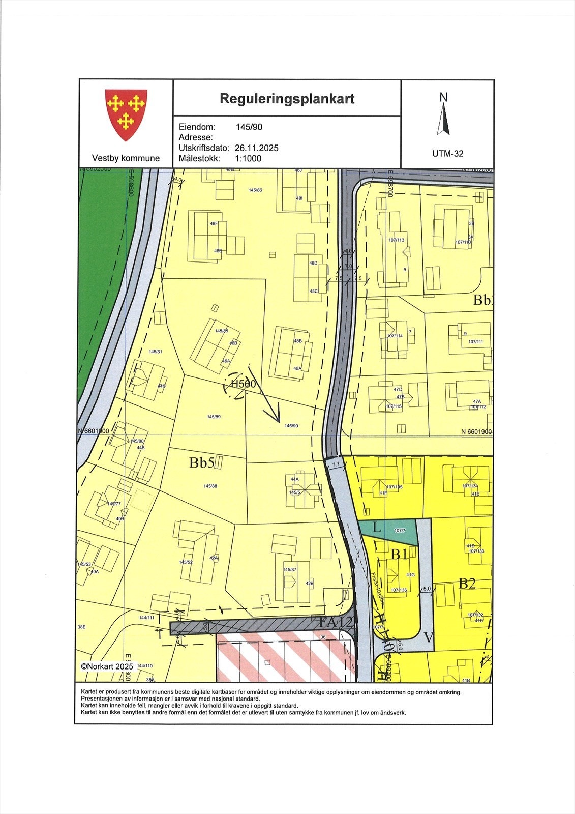
- Reguleringsplan for Hølen. BYA 25% (fotavtrykk)
- Selvbyggertomt (ikke byggeklusul)
- Mulighet for å bygge tomannsbolig.
- En sekundærleilighet på inntil 70 m² kan tillates til hver enebolig.
Hølen er et lite, koselig lokalsamfunn med et godt og aktivt nærmiljø. Stedet består av et idyllisk sentrum med mange gamle trehus, samt en god del ny bebyggelse i tilknytning til sentrum.
Beliggenhet
Meget flott beliggende i en vestvendt svakt hellende skråning. Veletablert boligområde med naturskjønne og flotte omgivelser. Kort vei til idylliske Hølen torg, gangavstand til barneskole og barnehage. Hølen ligger ca 45 km syd for Oslo,. 3-4 km langs Såna (turvei) fra Son/sjøen. Tilknytning til Oslo via offentlig transport med tog fra enten Vestby stasjon (24 minutter), eller Sonsveien stasjon, samt buss til Vestby. Det er mange bademuligheter i nærområdet, kort avstand med sykkel eller bil.
Hølen er et lite, koselig lokalsamfunn med et godt og aktivt nærmiljø. Stedet har historie som ladested og tidligere skatteparadis, og var en gang Norges minste by. Hølen har mange flotte eldre trehus, og et idyllisk torg. I Hølen finnes det bl a barnehage, kafè, idrettsplass og eget forsamlingslokale; Elverhøy. Hølen har et aktivt kulturliv. Det tar ca. 30 minutter å gå til Son langs elven og du sykler ned på ca. 20 minutter.
Se mer om Hølen på linken:
http://no.wikipedia.org/wiki/H%C3%B8len
Tomt
Vestvendt svakt skrånende jord-og fjelltomt med fint utsyn og meget gode solforhold. Tomten er i dag opparbeidet som hage med variert beplantning.
Bebyggelse
Vi anbefaler at reguleringsplanen gjennomgås i sin helhet og at kommunen kontaktes i forhold til mulig bebyggelse på tomten, gebyrer i forbindelse med tilknytning av vann, avløp og renovasjon. Kontakt for nettleverandør i forbindelse med kostand, kapasitet i forbindelse med strøm og mulig tilkoblingspunkt.
I områder for frittliggende boligbebyggelse kan det oppføres frittliggende eneboliger med tilhørende anlegg. En sekundærleilighet på inntil 70 m² kan tillates til hver enebolig. Innenfor definisjonen av frittliggende boligbebyggelse, tillates også oppført vertikaldelt eller horisontaldelt tomannsbolig.
Tillatt bebygd areal %-BYA = 20 % for områder regulert til eneboliger innenfor bevaringsområdet, 25 % for området regulert til eneboliger utenfor bevaringsområdet, og 30% for områder regulert til konsentrert småhusbebyggelse. Bruksareal under terreng skal ikke medtas når høydeforskjellen mellom himling og gjennomsnittlig terrengnivå er lavere enn 0,6 meter. Dersom det ikke er oppført garasje, carport eller parkering under terreng skal det reserveres 18 m2 bruksareal pr. krevet biloppstillingsplass.
Sentrale lover
Eiendommen selges etter reglene i avhendingsloven.
Salgsoppgaven er basert på de opplysningene selger har gitt til bygningssakkyndig og megler, samt opplysninger innhentet fra kommunen, Statens kartverk og andre tilgjengelige kilder.
Eiendommen skal overleveres kjøper i tråd med det som er avtalt. Det er viktig at kjøper setter seg grundig inn i alle salgsdokumentene, herunder salgsoppgave og eventuelt takst og selgers egenerklæring. Kjøper anses kjent med forhold som er tydelig beskrevet i salgsdokumentene. Forhold som er beskrevet i salgsdokumentene kan ikke påberopes som mangler. Dette gjelder uavhengig av om kjøper har lest dokumentene. Alle interessenter oppfordres til å undersøke eiendommen nøye, gjerne sammen med fagkyndig før bud inngis. Kjøper som velger å kjøpe usett kan ikke gjøre gjeldende som mangel noe han burde blitt kjent med ved undersøkelsen.
Dersom det er behov for avklaringer, anbefaler vi at kjøper rådfører seg med eiendomsmegler eller en bygningssakyndig før det legges inn bud.
Dersom kjøper ikke er forbruker selges eiendommen som den er , og selgers ansvar er da begrenset jf.§ 3-9 1. ledd 2. pkt. Informasjon om kjøpers undersøkelsesplikt, herunder oppfordringen om å undersøke eiendommen nøye, gjelder også for kjøpere som ikke anses som forbrukere.
På grunn av ulike avtalevilkår kan selger vurdere bud fra en som ikke er forbruker, ulikt fra en forbrukers bud. Dersom kjøper ikke er forbruker, er selger sitt mulige mangelsansvar begrenset fordi eiendommen selges "som den er". Selger kan ikke ta som den er forbehold ovenfor en forbrukerkjøper. Selv et lavere bud fra en som ikke er forbruker kan foretrekkes fordi begrensningen i mulig mangelsansvar kan ha egenverdi for selger. Selger står fritt til å forkaste eller akseptere ethvert bud, og er for eksempel ikke forpliktet til å akseptere høyeste bud.
Budgivere får informasjon dersom andre bud er inngitt av en som ikke er forbruker.
Forbrukerkjøp - definisjon
Med forbrukerkjøp menes kjøp av eiendom når kjøperen er en fysisk person som ikke hovedsakelig handler som ledd i næringsvirksomhet.
Forbruker avtalevilkår
Eiendommen har en mangel dersom den ikke er i samsvar med kravene som følger av avtalen, eller det foreligger brudd på bestemmelsene i avhendingsloven §§ 3-2 til 3-8. Hvis eiendommen ikke er i samsvar med det kjøperen må kunne forvente ut ifra alder, type og synlig tilstand, kan det være grunnlag for mangelskrav. Det samme gjelder hvis det er holdt tilbake eller gitt uriktige opplysninger om eiendommen. Dette gjelder likevel bare dersom man kan gå ut ifra at det virket inn på avtalen at opplysningen ikke ble gitt eller at feil uriktige opplysninger ikke blir rettet i tide på en tydelig måte.
Ved beregning av et eventuelt prisavslag eller erstatning må kjøper selv dekke tap/kostnader opptil et beløp på kr 10 000 (egenandel).
Ikke-forbruker (næringsdrivende) definisjon
Hvis kjøper er en juridisk person, eller en fysisk person som hovedsakelig handler som ledd i næringsvirksomhet, vil kjøpet ikke anses som et forbrukerkjøp.
Ikke-forbruker avtalevilkår
Eiendommen har en mangel dersom den ikke er i samsvar med kravene som følger av avtalen. Eiendommen selges som den er , og selgers ansvar utover det konkret avtalte er da begrenset etter avhendingsloven § 3-9, første ledd andre setning.
Avhendingsloven § 3-3 andre ledd fravikes, og hvorvidt boligens arealsvikt utgjør en mangel vurderes etter avhendingsloven § 3-8.
En forutsetning for salget er at skjøtet for eiendommen tinglyses på kjøper. Til informasjon kan EiendomsMegler 1 offentliggjøre kjøpesum m.m i egen markedsføring. Interessenter og kjøper må godta at selger og megler bruker elektronisk kommunikasjon i salgsprosessen.
I tråd med eiendomsmeglingsforskriften vil informasjon om oppdragsgiver, salgsobjektet, interessenter og kjøper bli lagret av meglerforetaket i min. 10 år. Se em1.no for mer informasjon om vår behandling av personopplysninger.
Hvitvaskingsregelverk
Eiendomsmeglere er underlagt lov om hvitvasking og er forpliktet til å rapportere til Økokrim om mistenkelige transaksjoner. Lov om hvitvasking innehar også strenge regler om kontroll av legitimasjon fra alle parter i handelen, herunder, selger, kjøper og fullmektiger for disse.
Vedlegg til salgsoppgaven
Vedlagt til salgoppgaven er følgende:
Selgers egenerklæring
Kartutsnitt/situasjonskart
Eiendomsrapport
Planopplysninger og kart datert
Informasjon fra kommunen vedr. adkomst, tomteareal, tilknytningsforhold, opplysninger om kommunale avgifter datert
Servitutt/er
Ovennevnte vedlegg ligger bak i salgsoppgaven. Disse inneholder viktig informasjon om eiendommen og må gjennomgås før bud avgis.
Regulering
Nyttige lenker
EiendomsMegler 1 Vestby/Son
Nærområdet
Annonseinformasjon
| FINN-kode | 439087311 |
|---|---|
| Sist endret | 03. des. 2025 12:10 |
| Referanse | 5120250165 |
Annonsene kan være mangelfulle i forhold til lovpålagt opplysningsplikt. Før bindende avtale inngås oppfordres interessenter til å innhente komplett informasjon fra meglerforetaket, selger eller utleier.











