Bildegalleri

Tomten er flat og ligger godt skjermet mot veien
Bekkestua - Eneboligtomt m/attraktiv beliggenhet, flat og solrik tomt i etablert villastrøk. Nærhet til bhg og skoler
- Totalpris
- 9 431 090 kr
- Omkostninger
- 231 090 kr
Nøkkelinfo
Fasiliteter
Visning
Om eiendommen
Oppdragsnummer
7-23-0264
Eiendomstype
Boligtomt
Eierform
Selveier
Betegnelse
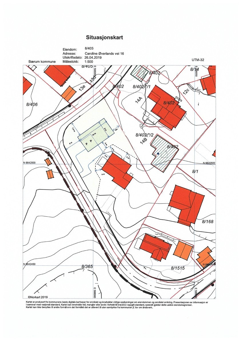
Gnr. 8 Bnr. 1773 i Bærum kommune
Tomtetype/areal
Eiet tomt / 800 kvm
Beliggenhet
Tomten ligger i Caroline Øverlandsvei, i et meget attraktivt villaområde som ligger nært Bekkestua.
Barnehage ligger i umiddelbar nærhet og det er videre kort vei til alle typer skoler. Nabo til attraktivt friområde med lekeplass og barnehage.
Kommunikasjoner - T-bane og buss på Gjønnes/ Bekkestua samt tog på Høvik.
Det er kort vei til Bekkestua sentrum med alle sentrumsfunksjoner, hyggelige spisesteder, bibliotek m.m.
Fra eiendommen er det kort vei ned til Høvik og sjøen hvor det er fine badestrender på Sarbuvollen og Veritas/Henie Onstad.
Det er et aktivt idrettsmiljø i området med flere idrettsanlegg, Nadderudhallen med svømmehall, flere golfbaner m.m.
Adkomst
Se vedlagt kartskisse på høyre side i annonsen. Ved å trykke på kartet får du enkelt tilgang til en spesifisert reiserute fra din startdestinasjon til boligen. På visningsdagen vil det bli skiltet med visningsskilter fra PRIVATmegleren. Velkommen til visning!
Beskrivelse av tomt
Eiet tomt - 800 m2. Tomten er flat og har gode solforhold. Rundt tomten er plantet hekk som skjermer mot vei. Tomten er utskilt fra Caroline Øverlandsvei 16 A, og ligger usjenert til på nordvestsiden av eksisterende hus.
Det foreligger ingen restriksjoner på med hensyn til utforming av ny bolig.
Se vedlagte kart i forhold til husplassering, innkjøring samt tinglyst erklæring vedrørende en mindre del av uteområdet.
Servitutter / rettigheter
Eiendommen overdras fri for pengeheftelser, med unntak av eventuelle erklæringer, avtaler, servitutter og panteheftelser som fremgår av salgsoppgaven og skal følge med eiendommen ved salg. Kjøpers bank vil få prioritet etter disse.
Heftelser
1945/1954-2/100 Bestemmelse om gjerde
03.08.1945
Bestemmelse om benyttelse
Med flere bestemmelser
Overført fra: 3024-8/403
Gjelder denne registerenheten med flere
2021/688447-1/200 Bestemmelse om bebyggelse
09.06.2021 21:00
rettighetshaver:Knr:3024 Gnr:8 Bnr:403
2022/424958-1/200 Bruksrett
21.04.2022 21:00
Rettighetshaver: Knr:3024 Gnr:8 Bnr:403
Grunndata
2021/609629-1/200 Registrering av grunn
25.05.2021 14:46
Denne matrikkelenhet opprettet fra:Knr:3024 Gnr:8 Bnr:403
Vei / Vann / Avløp
Eiendommen får adkomst fra offentlig vei.
Tilknytningspunkt for offentlig vann og avløp, se vedlagte kart.
Verdi ved skattefastsetting
Formuesverdien på eiendommen er p.t. ikke fastsatt.
Formuesverdien fastsettes med utgangspunkt i en kvadratmeterpris som beregnes av Statistisk Sentralbyrå (SSB). Kvadratmeterprisen skal gi uttrykk for en estimert markedsverdi pr. kvadratmeter og bygger på statistiske opplysninger om omsatte boliger (boligtype, areal, geografisk beliggenhet og alder). Ut fra kvadratmeterprisene til SSB fastsetter Skatteetaten årlige kvadratmetersatser. Formuesverdien er ulik for primærbolig og sekundærbolig. For primærbolig (der boligeier er folkeregistrert pr 1. januar) utgjør formuesverdien 25% av kvadratmeterprisene og 90 % for sekundærboliger (alle andre boliger).
Reguleringsforhold
Kommuneplaner
Id 202101 Navn KOMMUNEPLANENS AREALDEL 2022-2042
(https://www.arealplaner.no/3024/gi?funksjon=VisPlan&kommunenummer=3024&planidentifikasjon=202101)
Bestemmelser - https://www.arealplaner.no/3024/dokumenter/23424/Bestemmelser%20og%20retningslinjer%20-%20Kommuneplanens%20arealdel%202022-42%20-
%20Med%20punkter%20unntatt%20rettsvirkning%20(10666427).docx
Delareal 801 m2 Arealbruk Boligbebyggelse, Nåværende
Reguleringsplaner
Id 1936028 Navn EKEBERG
(https://www.arealplaner.no/3024/gi?funksjon=VisPlan&kommunenummer=3024&planidentifikasjon=1936028)
Delareal 800 m2 Formal Frittliggende småhusbebyggelse
Eiendommen er regulert til småhusbebyggelse, u-grad/BYA 20 % i ht. kommuneplanen.
Selger kjenner ikke til reguleringsplaner, nabovarsler eller offentlige vedtak som kan medføre endringer i bruken av eiendommen eller av eiendommens omgivelser, eller forslag til dette, ifølge selgers egenerklæringsskjema.
Andre faste løpende kostnader
Det skal betales tilknytningsgebyr for nybygg. Tilknytningsgebyret beregnes per m² og faktureres ved første igangsettingstillatelse.
Kommunale avgifter fastsettes av kommunen når eiendommene bebygget.
Når det gjelder tilkobling tv/internett og evt. alarm må kjøper legge enge ledninger og tegne eget abonnement.
Oppgjør
Kjøpesum med tillegg av omkostninger skal være disponibelt på meglers klientkonto innen overtagelse. Normalt innebærer dette at fullt oppgjør må være innbetalt på meglers klientkonto senest to virkedager før avtalt overtagelsesdato.
Eventuelle vilkår knyttet til innbetalingen, eksempelvis pantedokument som skal tinglyses til fordel for kjøpers bank, må være megler i hende i god tid før overtagelse kan finne sted.
Finansiering
Kontakt megler for avklaring av finansielle forhold, herunder lån til kjøp av eiendom. Privatmegleren har avtale med Nordea om formidling av lån og andre finansielle tjenester. Privatmegleren mottar godtgjørelse for dette.
Konsesjon / Odel
Kjøper må fylle ut egenerklæring om konsesjonsfrihet. Egenerklæring må signeres av kjøper og bekreftes av kommunen for at skjøtet kan tinglyses.
Det hefter ikke odel på eiendommen.
Sikkerhetsstillelse
Alle eiendomsmeglingsforetak har lovpålagt forsikring av klientmidler begrenset oppad til kr 45 mill. Enkeltsaker er forsikret inntil kr 15 mill. Dersom kjøpers låneinstitusjon krever tilleggsforsikring ved omsetning over 15 millioner, må kjøper selv eller dennes låneinstitusjon dekke utgiftene forbundet med dette.
Kjøpsforsikring
Vedlagt i salgsoppgaven følger informasjon om Kjøpsforsikring fra If. Produktet inneholder boligkjøperforsikring, hus-/hytteforsikring med superdekning og innboforsikring med superdekning. Les mer om Kjøpsforsikring i vedlagte materiell.
Overtagelse
Etter nærmere avtale.
Boligselgerforsikring
Selger har ikke tegnet boligselgerforsikring, og interessenter oppfordres til å sette seg inn i selgers egenerklæring før det inngis bud på eiendommen.
Budgiving
Bud kan legges inn via Privatmeglerens "gi bud-knapp" som finnes på Privatmegleren.no/eiendommens hjemmeside og i nettannonsen. Bud legges inn trygt og enkelt med bank-ID.
For mer informasjon om budgivning, se "Viktig informasjon" i salgsoppgaven.
Lovanvendelse
Eiendommen selges etter reglene i avhendingsloven (avhl.).
Eiendommen skal overleveres kjøper i tråd med det som er avtalt. Det er viktig at kjøper setter seg grundig inn i alle salgsdokumentene, herunder salgsoppgave, tilstandsrapport og selgers egenerklæring. Kjøper anses kjent med forhold som er tydelig beskrevet i salgsdokumentene. Forhold som er beskrevet i salgsdokumentene kan ikke påberopes som mangler. Dette gjelder uavhengig av om kjøper har lest dokumentene. Alle interessenter oppfordres til å undersøke eiendommen nøye, gjerne sammen med fagkyndig før bud inngis. Kjøper som velger å kjøpe usett kan ikke gjøre gjeldende som mangel noe han burde blitt kjent med ved undersøkelsen.
Dersom det er behov for avklaringer, anbefaler vi at kjøper rådfører seg med eiendomsmegler eller en bygningssakyndig før det legges inn bud.
Eiendommen selges etter reglene i avhendingsloven (avhl.).
Eiendommen skal overleveres kjøper i tråd med det som er avtalt. Det er viktig at kjøper setter seg grundig inn i alle salgsdokumentene, herunder salgsoppgave, tilstandsrapport og selgers egenerklæring. Kjøper anses kjent med forhold som er tydelig beskrevet i salgsdokumentene. Forhold som er beskrevet i salgsdokumentene kan ikke påberopes som mangler. Dette gjelder uavhengig av om kjøper har lest dokumentene. Alle interessenter oppfordres til å undersøke eiendommen nøye, gjerne sammen med fagkyndig før bud inngis. Kjøper som velger å kjøpe usett kan ikke gjøre gjeldende som mangel noe han burde blitt kjent med ved undersøkelsen.
Dersom det er behov for avklaringer, anbefaler vi at kjøper rådfører seg med eiendomsmegler eller en bygningssakyndig før det legges inn bud.
Dersom kjøper ikke er forbruker selges eiendommen som den er , og selgers ansvar er da begrenset, jf. avhl. § 3-9, første ledd 2. punktum. Informasjon om kjøpers undersøkelsesplikt, herunder oppfordringen om å undersøke eiendommen nøye, gjelder også for kjøpere som ikke anses som forbrukere. Med forbrukerkjøp menes kjøp av eiendom når kjøperen er en fysisk person som ikke hovedsakelig handler som ledd i næringsvirksomhet.
Lov om hvitvasking
Megler er underlagt lov om hvitvasking som innebærer plikt til å melde ifra til Økokrim om mistenkelige transaksjoner
Meglers vederlag og utlegg
Meglers vederlag/tillegg betales av selgeren og utgjør:
Provisjon 0,75 % samt tillegg på kr 50 250,- og utlegg på kr 585,-.
Det betales kr. 3 500,- pr. visning /overtagelse.
Dersom eiendommen ikke blir solgt, skal selger betale kr 12 500,- samt tillegg/utlegg.
Vedlegg til salgsoppgaven
Planinformasjon fra kommunen, Servitutt, Bud og budgivning
Nyttige lenker
PrivatMegleren Bærum
Nærområdet
Annonsene kan være mangelfulle i forhold til lovpålagt opplysningsplikt. Før bindende avtale inngås oppfordres interessenter til å innhente komplett informasjon fra meglerforetaket, selger eller utleier.





