Bildegalleri

Velkommen til Knudssøns Gate og denne herlige boligtomten på 500 kvm. Tomten ligger i et veletablert og etterspurt boområde på Tyholt/Berg, kjent for sin sentrale beliggenhet.
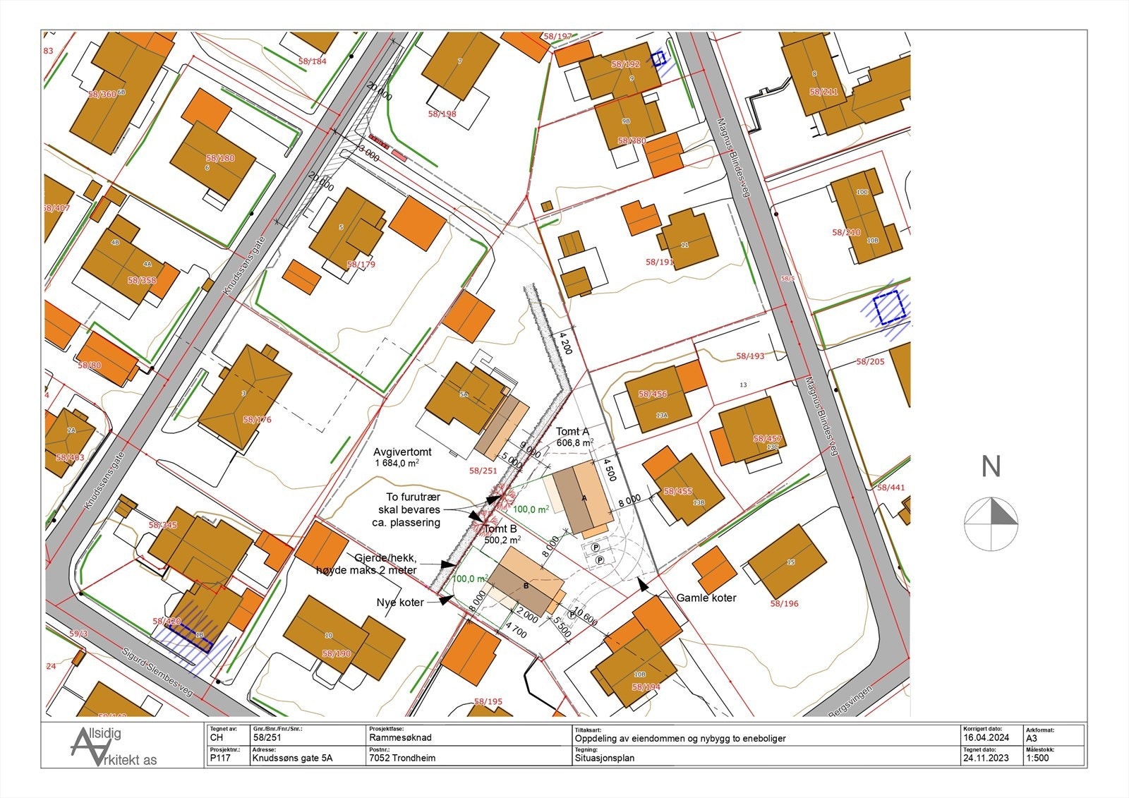
TYHOLT/BERG | Tomt med rammetillatelse for enebolig |Strålende beliggenhet i stille og barnevennlige omgivelser!
- Totalpris
- 4 603 340 kr
- Omkostninger
- 113 340 kr
Nøkkelinfo
Om eiendommen
Kort om eiendommen
Velkommen til Knudssøns Gate 5A! En spennende og flott tomt på ettertraktede Tyholt/Eberg. Her vil du få en god kombinasjon av sentralitet og ro i et av byens mest populære områder. Med sin attraktive beliggenhet har eiendommen kort vei til alt man trenger i hverdagen. Slike tomter er sjeldent på markedet, og kan gi en solid base for å skape et hjem som kan nytes i generasjoner. Det foreligger godkjent rammetillatelse for oppføring av enebolig på tomten. Tegningsgrunnlag og rammetillatelse ligger vedlagt i salgsoppgaven. Tillatelsen er for enebolig og søknaden inneholder tegninger for enebolig på ca. 165 m² BRA.
Beskrivelse av tomt
Oppgitte tomteareal (499,8 kvm.) er hentet fra kommunens opplysninger om beregnet areal for eiendommen. Beregnet areal kan avvike fra historisk og faktisk areal, og kjøper overtar risiko knyttet til eventuelt avvik.
Beliggenhet
Tomten ligger meget attraktivt til på Tyholt/Berg, en av Trondheims mest ettertraktede boligstrøk. Tomtens beliggenhet har kort vei til det meste man trenger i hverdagen. Rett i nærheten finner man Bunnpris Gourmet Tyholt, kjent for sitt flotte utvalg av ferskvarer og delikatesser. For et større shoppingtilbud ligger både Valentinlyst Senter og Moholtsenteret innen kort avstand, hvor man finner et bredt utvalg av butikker og servicetilbud.
Området byr også på flere fine parker og friområder, perfekt for rekreasjon og fritidsaktiviteter. Blant annet ligger Eberg idrettsplass i nærheten, som er et populært samlingspunkt for både store og små. I tillegg er det kort vei til både skoler og barnehager, noe som gjør området svært familievennlig.
Flott tomt i enden av en blindvei, perfekt for deg som ønsker å skape ditt eget drømmehjem i rolige og skjønne omgivelser.
Adkomst
Se vedlagt kartskisse på høyre side i annonsen. Ved å trykke på kartet får du enkelt tilgang til en spesifisert reiserute fra din destinasjon til boligen. På visningsdagen vil det bli skiltet med visningsskilter fra Heimdal Eiendomsmegling. Velkommen til visning!
Diverse
Det foreligger godkjent rammetillatelse vedtatt 14.02.2024 for oppføring av enebolig på eiendommen. Rammetillatelsen gjelder for både denne tomt og nabotomten gnr. 58, bnr. 462.
Interessenter bes gjøre seg godt kjent med rammetillatelsens bestemmelser og vilkår, og oppfordres til å konferere med bygnignssakkyndig med kunnskap om oppføring av bolig for å vurdere risikoer og fordeler knyttet til denne og gjennomføring av tiltaket før budgivning. Rammetillatelsen gir ikke nødvendigvis uttrykk for alle krav som kreves for gjennomføring av tiltaket, og verken eiendomsmegler eller selger har førstehåndskunnskap om oppføring av bolig.
Det kan ikke settes i gang byggearbeider før det er gitt igangsettingstillatelse. Dersom arbeidene ikke er satt i gang senest 3 år etter at tillatelsen er gitt, faller tillatelsen bort. Det samme gjelder hvis byggeprosjektet innstilles i mer enn 2 år. Dette gjelder også for dispensasjon. Fristene kan ikke forlenges, jf. plan- og bygningsloven § 21-9.
Kjøper plikter selv å søke om igangsettingstillatelse for sitt tiltak, og bærer alle risikoer og kostnader knyttet til dette. Videre bærer selv alle risikoer og kostnader knyttet til gjennomføringen av prosjektet.
Adkomst til eiendommen er planlagt som vist i rammetillatelsen, altså over eiendommene gnr. 58 bnr. 251 og gnr. 58 bnr. bnr. 462.
Rammetillatelsen omfatter: Oppføring av enebolig på totalt på ca. 165m² BRA.
Det opplyses for ordens skyld at gjerde mot Øvre Bergsvingen 10B ikke er plassert i tomtegrensen, men er litt feilplassert og ligger noe inn på tomt 1 og 2. Konferer megler.
Overtakelse
Etter avtale med selger.
Budgivning
Alle bud skal inngis skriftlig til megler. Bud kan legges inn på nettannonsen på "gi bud knappen" eller via hjemmesiden. Ved elektronisk budgivning kan bud legges inn trygt og enkelt med bank-ID. Megler kan også kontaktes for tilsendelse av budkjema. Budskjema finnes også i salgsoppgaven. Kravet til skriftlighet gjelder også budforhøyelser, motbud og aksept.
Et bud er bindende for budgiver når budet er kommet til selgers kunnskap. Selger står fritt til å akseptere eller forkaste ethvert bud, og er således ikke forpliktet til å akseptere det høyeste budet på eiendommen. Megler skal, i den grad det er nødvendig og mulig, informere de involverte i budrunden skriftlig om status i budgivningen.
Megler prøver så langt det er mulig å holde interessenter orientert om bud på eiendommen. Budvarsel krever skriftlig samtykke fra mottaker. Megler skal så snart som mulig bekrefte skriftlig ovenfor budgiver at bud er mottatt. Bud som ikke er skriftlig, eller som har kortere akseptfrist enn til kl. 12.00 dagen etter siste annonserte visning, vil ikke bli formidlet til selger. Unntak fra dette kan gjelde dersom selger er å anse som næringsdrivende.
Vi oppfordrer til å legge inn bud på eiendommen i god tid før budfristen. Dersom du mot formodning ikke mottar informasjon om bud på eiendommen, oppfordrer vi til å selv ta direkte kontakt med megleren.
Selger og kjøper har krav på å få utlevert kopi av budjournalen straks etter at handel er kommet i stand. Alle som har inngitt bud på eiendommen kan på forespørsel få en kopi av anonymisert budjournal etter at budrunden er avsluttet. For øvrig vises til det Forbrukerinformasjon om budgivning , som er vedlagt i salgsoppgaven.
Prospektet er gjennomlest og godkjent av selger.
Lovanvendelse
Eiendommen selges etter reglene i avhendingsloven.
Eiendommen skal overleveres kjøper i tråd med det som er avtalt. Det er viktig at kjøper setter seg grundig inn i alle salgsdokumentene, herunder salgsoppgave. Kjøper anses kjent med forhold som er tydelig beskrevet i salgsdokumentene. Forhold som er beskrevet i salgsdokumentene kan ikke påberopes som mangler. Dette gjelder uavhengig av om kjøper har lest dokumentene. Alle interessenter oppfordres til å undersøke eiendommen nøye, gjerne sammen med fagkyndig før bud inngis. Kjøper som velger å kjøpe usett kan ikke gjøre gjeldende som mangel noe han burde blitt kjent med ved undersøkelsen.
Dersom det er behov for avklaringer, anbefaler vi at kjøper rådfører seg med eiendomsmegler eller en bygningssakyndig før det legges inn bud.
Dersom kjøper ikke er forbruker selges eiendommen som den er , og selgers ansvar er da begrenset jf. avhl. § 3-9, 1. ledd 2. pktm. Avhendingsloven § 3-3 (2) fravikes, og hvorvidt en innendørs arealsvikt karakteriseres som en mangel vurderes etter avhendingsloven § 3-8. Informasjon om kjøpers undersøkelsesplikt, herunder oppfordringen om å undersøke eiendommen nøye, gjelder også for kjøpere som ikke anses som forbrukere. Med forbrukerkjøper menes kjøp av eiendom når kjøperen er en fysisk person som ikke hovedsakelig handler som ledd i næringsvirksomhet.
Kjøpers undersøkelsesplikt
Du som kjøper oppfordres til nøye å gjennomgå eiendommen og salgsprospektet før budgivning. Du kan ikke gjøre mangel gjeldende for forhold du kjente eller burde kjenne til da avtalen om kjøp av eiendommen ble inngått. Før du legger inn bud på eiendommen anbefaler vi at du undersøker eiendommen grundig, gjerne i samråd med en autorisert takstmann eller annen sakkyndig.
Heimdal Eiendomsmegling AS anbefaler ikke å legge inn bud på en eiendom usett, dvs. at du inngir bud på en eiendom uten å ha besiktiget eiendommen. Dersom du likevel ønsker å gjøre dette vil dine muligheter for å reklamere mangler overfor selger kunne bli redusert. Når du har overtatt eiendommen plikter du som kjøper å foreta en grundig undersøkelse av eiendommen.
Hvitvaskingsloven
Eiendomsmeglerforetaket er underlagt Lov om tiltak mot hvitvasking og terrorfinansiering (Hvitvaskingsloven). Dette medfører at megler har en plikt til å gjennomføre kundetiltak ovenfor både selger og kjøper. Både selger og kjøper, herunder de selger og/eller kjøper opptrer på vegne av, må fremlegge gyldig legitimasjon som følge av meglers kundekontroll. Der selger eller kjøper er en juridisk person omfatter kundekontrollen blant annet verifisering av identitet til reelle rettighetshavere, hvor egenerklæring for selskapsstruktur, firmaattester og gyldig legitimasjon må fremlegges og kontrolleres.
Dersom kontrolltiltak ikke lar seg gjennomføre kan ikke eiendomsmegler medvirke til gjennomføring av transaksjonen, og handelen kan dermed stanses. Dersom kjøper ikke bidrar til gjennomføring av kontrolltiltak vil kjøper være ansvarlig for eventuelle forsinkelser av oppgjør til selger, og videre kostnader/tap ved dekningssalg. Kontrolltiltak for selger gjennomføres ved oppdragsinngåelse, men i de tilfeller forhold ved selgersiden utløser krav til ny kundekontroll i løpet av oppdragsgjennomføringen, kan selger ved å ikke bidra til gjennomføring av kundetiltak misligholde sine forpliktelser ovenfor kjøper.
Eiendomsmeglerforetaket har også ytterlige prosedyrer og kontrollpunkter knyttet til hvitvaskingsregelverket, herunder blant annet kontroll av midlenes opprinnelse ved bruk av egenkapital. Partene plikter å opplyse om de forhold meglerforetaket etterspør i forbindelse med kontrolltiltak.
Eiendomsmeglerforetaket har plikt til å innrapportere mistenkelige transaksjoner til Økokrim dersom det avdekkes mistanke om at midler har tilknytning til utbytte fra en straffbar handling, og/eller har tilknytning til terrorfinansiering. Partene varsles ikke dersom transaksjonen rapporteres til Økokrim.
Ansvarlig megler
Frode M. Drazkowski
Regulering
Nyttige lenker
Heimdal Eiendomsmegling avd. Høyskoleparken
Nærområdet
Annonseinformasjon
| FINN-kode | 407999801 |
|---|---|
| Sist endret | 10. aug. 2025 14:44 |
| Referanse | 18-24-0353 |
Annonsene kan være mangelfulle i forhold til lovpålagt opplysningsplikt. Før bindende avtale inngås oppfordres interessenter til å innhente komplett informasjon fra meglerforetaket, selger eller utleier.














