Bildegalleri

Møremegling ved Brynjar S. Bergesen presenterer denne flotte tomten.
Boligtomt på 1123 m² | 25% BYA | Sjønær og usjenert beliggenhet med flott utsikt
Prisantydning1 490 000 kr
- Totalpris
- 1 528 490 kr
- Omkostninger
- 38 490 kr
Nøkkelinfo
Om eiendommen
Kort om eiendommen
BOLIG TOMT | FUTEVEGEN 73
Eiendommen er på 1123 m² regulert til boligformål med usjenert og beliggenhet og flott utsikt.
Eiendommen har beliggenhet på Holsfeta i Langevåg. Fra eiendommen er det ca. 1,3 km til dagligvarebutikk og ca. 2,9 km til barneskole og ungdomsskole.
Arealutnyttelse iht. reguleringsplan er BYA=25%.
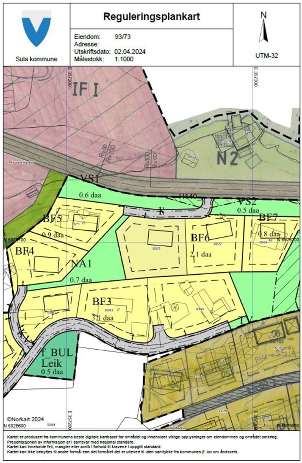
Regulering
Boligen ligger i område regulert til boligformål. Område mellom nabo mot vest er regulert til Grønstruktur.
Detaljregulering for Holsfeta datert 24.02.2013.
Maksimal utnyttelsesgrad for hver tomt er satt til BYA = 25%.
Maksimale byggehøyder er satt slik:
- BF5 BF8 (hus med delvis nedgravd sokkeletasje): Inntil 6 m gesimshøyde og 8 m mønehøyde.
- For hver bolig skal det tilrettelegges 2 biloppstillingsplasser på egen grunn. For eventuell hybel/ utleieleilighet er parkeringskravet 1 plass pr. boenhet. Alle parkeringsplasser skal være opparbeidde innen det tilsvarende byggearealet blir tatt i bruk.
Utsnitt av reguleringsplan med tilhørende kart og bestemmelser er vedlagt fullstendig salgsoppgave med bilag.
Områdeanalyse:
Aktsomhetsområder for snø- og steinskred 07.06.2021
Radonutsatt område 25.03.2024
NB: Knappen for å vise hele beskrivelsen har kun en visuell effekt.
NB: Knappen for å vise hele beskrivelsen har kun en visuell effekt.
Nyttige lenker
Møremegling avd. Ålesund
Nærområdet
Annonseinformasjon
| FINN-kode | 406552937 |
|---|---|
| Sist endret | 18. sep. 2025 11:07 |
| Referanse | ME700.2461 |
Annonsene kan være mangelfulle i forhold til lovpålagt opplysningsplikt. Før bindende avtale inngås oppfordres interessenter til å innhente komplett informasjon fra meglerforetaket, selger eller utleier.















