Bildegalleri

Velkommen til Johan Myrvangs vei
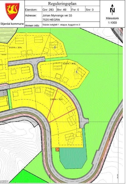
8 romslige (2 SOLGT) og solrike eneboligtomter - 907-1188 kvm - Familievennlig område - BYA 35 %
Nøkkelinfo
Visning
Om eiendommen
Om prosjektet
Her selges nå 8 romslige eneboligtomter, med en attraktiv og solrik beliggenhet i Skårrån, Hegra. Området byr trygge og familievennlige omgivelser samt en praktisk beliggenhet med nærhet til nødvendige servicefunksjoner. Hegra byr på både det landlige og trygge, men også kort vei til bykjernen, med kun ca. 10 minutter til Stjørdal sentrum.
Tomtene strekker seg i størrelse fra 907 kvadratmeter til 1188 kvm, godt med boltreplass for å realisere boligdrømmen med mulighet for oppføring av både bolig og garasje.
Tillatt BYA er satt til 35 % inkludert parkeringsareal. Bebyggelsen utformes som åpen bebyggelse som eneboliger med eventuell utleiedel i sokkel.
Noe for deg? Ta kontakt med eiendomsmegler Håvard Geving.
Prisliste:
Tomtene selges til faste oppgitte priser.
Johan Myrvangs vei 20 - Kr. 690 000,- + omk.
Johan Myrvangs vei 22 - Kr. 690 000,- + omk.
Johan Myrvangs vei 24 - Kr. 690 000,- + omk.
Johan Myrvangs vei 26 - Kr. 750 000,- + omk.
Johan Myrvangs vei 28 - SOLGT
Johan Myrvangs vei 29 - Kr. 650 000,- + omk.
Johan Myrvangs vei 33 - Kr. 750 000,- + omk.
Johan Myrvangs vei 35 - Kr. 750 000,- + omk.
Omkostninger per tomt:
2,5 % dokumentavgift av kjøpesum
Kr. 240 - Panteattest
Kr. 500 - Tinglysingsgebyr pantedokument
Kr. 500 - Tinglysingsgebyr skjøte
Kr. 15 100 - Boligkjøperforsikring (Valgfritt)
Kr. 2 800 - Boligkjøperforsikring PLUSS (Valgfritt)
Totale omkostninger uten boligkjøperforsikring: Kr. 17 490 - 19 990
Totale omkostninger med boligkjøperforsikring: Kr. 32 590 - 35 090
Totale omkostninger med boligkjøperforsikring PLUSS: Kr. 35 390 - 37 890
Totalpris inkl. omkostninger uten boligkjøperforsikring: Kr. 667 490 - 769 990
Totalpris inkl. omkostninger med boligkjøperforsikring: Kr. 682 590 - 785 090
Totalpris inkl. omkostninger m/boligkjøperforsikring PLUSS: 685 390 - 787 890
Omkostningene forutsetter at det kun tinglyses ett pantedokument og at eiendommen selges til prisatnydning. Det tas forbehold om endringer i offentlige avgifter/gebyrer.
Tomtene kan fritt besiktiges og er tilgjengelig for visning når det måtte passe.
Beliggenhet
Tomtene har en pen beliggenhet i det som er et veletablert og familievennlig område, vendt mot sør og vest, som legger til rette for gode solforhold. I området finnes også lekeplasser/fellesareal samt sti- og veinett som man som beboer kan dra god nytte av. Dette er en rolig gate med trygg og sikker gangavstand til omkringliggende fasiliteter. Området er i alle hovedsak bestående av eneboliger, men også leilighetsbygg.
Fra tomtene er det ca. 5 min å gå langs gangvei til barne- og ungdomsskole, idrettshall og barnehage. I tillegg gangavstand til dagligvarebutikk, bank og kafeteria m.m. I Hegra finnes også Hegra Sparebank Arena som er et nyere kunstgressanlegg hvor idrettslaget også har kiosk, garderober, kjøkken og møterom. Hegra er også et fint område med flotte turmuligheter i umiddelbar nærhet som bla. helårsløype/lysløype inn til Skjetnbuin og Skjelstadmarka med sine flotte turløyper både sommer- og vinterstid. Hegra byr på fasiliteter som tilfredsstiller hverdagens behov, men ønsker man flere fasiliteter tar det ca. 10 minutter å kjøre til Stjørdal sentrum med sine fasiliteter, samt ca. 15 minutter til Værnes lufthavn.
Se kartskisse i annonsen på finn.no. Ved å trykke på kartet får du enkelt tilgang til en spesifisert reiserute fra din startdestinasjon til boligen. Det vil bli skiltet ved fellesvisning.
Overtakelse
Overtakelse etter nærmere avtale med selger. Tomten er klar til overtakelse, hurtig overtakelse mulig. Angi ønsket overtakelsesdato i budskjema.
Dersom annet ikke avtales, sendes skjøte/hjemmelsdokument for tinglysing i etterkant av overtakelse.
Generell orientering
Tomten er ikke opparbeidet og fremstår som råtomter.
Kjøper overtar tomt slik den fremstår i dag og alle inngrep i tomt slik som sprengning, grunnarbeid etc. må gjøres på kjøpers regning og risiko.
Plan- og reguleringsbestemmelser for området legger til grunn de retningslinjer som gjelder med tanke på hva som kan oppføres i området. Se punkt "Reguleringsbestemmelser" samt vedlegg i salgsoppgaven for grundigere utredelse. Konferer med plan- og bygningsetaten i kommunen dersom du har spesielle ønsker til bygging av bolig på tomten. Du kan f.eks be om forhåndskonferanse, for å få tilbakemelding om huset du ønsker å bygge er innenfor bestemmelsene for området.
Tomten er ubebygde, mindre enn 2 dekar og er godkjent fradelt etter plan- og bygningsloven og jordloven. Kjøper er kjent med at dette bekreftes overfor plan- og bygningsmyndigheten ved utfylling av egenerklæring om konsesjonsfrihet. Kjøper bærer ansvaret for at han/hun blir gitt konsesjon / konsesjonsfrihet til kjøp av tomten. Skulle kjøper mot formodning ikke oppnå dette, vil selger være skadesløs og vil overlevere ferdig utfylt, ikke tinglyst skjøte til kjøper mot oppgjør som planlagt. Kjøper forplikter seg til å avhende eiendommen på nytt for egen regning.
Garasje/parkering
Det skal opparbeides 2 parkeringsplasser pr. boligenhet på egen tomt. For tomter med hovedleilighet + sokkelleilighet skal det opparbeides 4 parkeringsplasser pr. tomt. På alle tomter skal det være plass for 1 garasje/overdekket bilplass. Innenfor boligområdene tillates oppført garasjer på inntil 50 m2 brutto med maks. gesimshøyde 2,8 m og maks. mønehøyde 4,5 m og maks. takvinkel 30 grader. Veiledende plassering av
garasje er vist på alle tomtene.
Betalingsbetingelser
Med mindre annet er avtalt forutsettes det at kjøpesum inkludert omkostninger er innbetalt og disponibelt på meglerforetakets klientkonto innen overtakelse. Kjøpesummen skal innbetales fra norsk finansinstitusjon og/eller fra kjøpers egen konto i norsk finansinstitusjon.
Budgivning
Budgivning i forbrukerforhold
Tomtene selges til fast pris, oppgitte priser i annonse og salgsoppgave. Budgivere oppfordres til å legge inn bud elektronisk. Dette gjøres på eiendommens hjemmeside på aktiv.no, ved å bruke Gi bud -knappen. Ved elektronisk budgivning, samtykker budgiver til elektronisk kommunikasjon. For øvrig henvises til forbrukerinformasjon om budgivning i salgsoppgaven. Oppdragsgiver er oppfordret til å ikke ta imot bud direkte fra budgiver, men å henvise budgiver videre til megler. Som kjøper vil du få forelagt kopi av budjournal. Alle bud vil bli gjort kjent for kjøper og selger i handelen. Øvrige budgivere kan be om å få en kopi av budjournal i anonymisert form.
Budgivning utenfor forbrukerforhold
Budgivere oppfordres til å legge inn bud elektronisk. Dette gjøres på eiendommens hjemmeside på aktiv.no, ved å bruke Gi bud -knappen. Ved elektronisk budgivning, samtykker budgiver til elektronisk kommunikasjon. Det anbefales at hvert bud har en akseptfrist som muliggjør en forsvarlig avvikling av budrunden. Vi anbefaler minimum 30 minutter akseptfrist. Oppdragsgiver er oppfordret til å ikke ta imot bud direkte fra budgiver, men å henvise budgiver videre til megler.
Opplysningene i salgsoppgaven er godkjent av selger. Alle interessenter oppfordres imidlertid til grundig besiktigelse av eiendommen, gjerne sammen med fagmann før bud inngis.
Ansvarlig megler
Håvard Geving
Regulering
Aktiv Stjørdal AS
Nærområdet
Annonseinformasjon
| FINN-kode | 377275999 |
|---|---|
| Sist endret | 16. sep. 2025 12:45 |
| Referanse | 1704245006 |
Annonsene kan være mangelfulle i forhold til lovpålagt opplysningsplikt. Før bindende avtale inngås oppfordres interessenter til å innhente komplett informasjon fra meglerforetaket, selger eller utleier.

























