Bildegalleri

Velkommen til Ekkodalen 5 - presentert av Fridtjof Schmidt i Nordvik Bærum! Ca. eiendomsgrenser Foto: zOvenfra
Boligtomt i fredelige omgivelser | Gode solforhold |Lagt opp VA og avkjørsel | Bygg din drømmebolig!
- Totalpris
- 5 236 240 kr
- Omkostninger
- 136 240 kr
Nøkkelinfo
Om eiendommen
Kort om eiendommen
Velkommen til Ekkodalen 5 - presentert av Fridtjof Schmidt og Sverre Wiborg i Nordvik Bærum!
En flott boligtomt beliggende i en blindvei i et trafikkstille og barnevennlig boligområde på Slependen. Herfra er det kort vei til alt man trenger i hverdagen. Slependen togstasjon er 10 min gange unna, kun 2 minutter med bil. Herfra tar det 19 minutter med tog til Nationaltheatret og 1 minutt til Sandvika. Ellers er det kort vei til barnehager, skoler, matbutikk, Sandvika Storsenter, IKEA, Slependen Senter og mye mer.
På tomten er det lagt opp vann, kloakk og etablert godkjent avkjørsel til offentlig vei, samt lagt trekkrør for strøm og fiber av entreprenøren som bygget ut området. Entreprenøren har også rettet ut store deler av tomten.
Bygg din drømmebolig i fredelige omgivelser!
Beliggenhet
Eiendommen ligger fint til i et trafikkstille og barnevennlig boligområde på Slependen i en liten blindvei uten gjennomgangstrafikk. Feltet er et nyere byggefelt og ligger i et meget veletablert boligområde som egner seg godt for barnefamilier. Her kan de ferdes trygt i hage og det er rolige veier med kort avstand til skole og barnehage.
Nærmeste barnehager er Tanum barnehage og Ås barnehage avd. Vågebytoppen som ligger i gåavstand fra boligene. Legekontor og matbutikk i nærheten. Ca. 10 min gange til Slependen togstasjon, kun 2 minutter med bil. Herfra tar det 19 minutter med tog til Nationaltheateret og 1 minutt til Sandvika. Det er ca. 5. min gange til bussholdeplass i Tanumveien. Alternativet er Sandvika som er hovedknutepunkt til tog og buss i området. Kort kjøretur unna ligger Gjettum T-banestasjon som tar deg til Nationaltheateret på ca. 25. min.
Combihallen og Jardar Idrettslag ved Bjørnegård ungdomsskole har aktiviteter til barn i alle aldre. Kort kjøretur unna til idylliske Tanumskogen og Tanumåsen med mange hyggelige turstier og flotte utsiktspunkter. Det er også umiddelbar nærhet til Vestmarka med flotte turmuligheter sommer som vinter. Er du glad i skog og mark og ønsker å ha enkel tilgang til noe av det beste marka kan by på, er dette stedet for deg. Fine tur og joggerunder i området. Fra eiendommen er det kort vei til Vestmarka med preparerte lysløyper på vinterstid og Kadettangen og Kalvøya med badestrender om sommeren. Kalvøya og Kadettangen ligger en kort sykkeltur unna.
Matbutikker i nærheten finnes bl.a. Kiwi (ca. 700 meter unna boligen). En kort kjøretur unna finnes Meny, Coop Ekstra, Rema 1000 og IKEA Slependen. Videre er det kort vei til Sandvika sentrum med et rikt utvalg av butikker (bl.a. Sandvika storsenter), mange hyggelige kafeer og restauranter, kino, kulturhus og teater. Her bor du og dine i trygge og idylliske omgivelser med alt i umiddelbar nærhet.
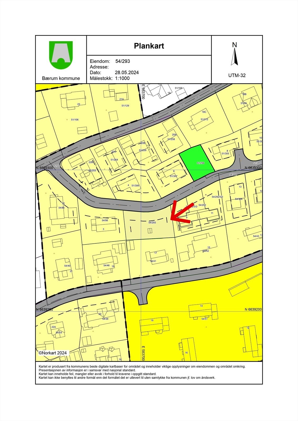
Tomt
Delvis flat tomt på 690 m²
Regulerings og arealplaner
Området er regulert til frittliggende småhusbebyggelse i reguleringsplanen 1984 og avsatt til boligbebyggelse (nåværende) i kommuneplanen fra 2023
Kommuneplaner
Id: 202101 (https://www.arealplaner.no/3201/gi?funksjon=VisPlan&kommunenummer=3201&planidentifikasjon=202101)
Navn :KOMMUNEPLANENS AREALDEL 2022-2042
Plantype: Kommuneplanens arealdel
Status: Endelig vedtatt arealplan
Ikrafttredelse: 21.06.2023
Bestemmelser: - https://www.arealplaner.no/3201/dokumenter/23874/6403470.pdf
Delarealer: Delareal 690 m²
Arealbruk: Boligbebyggelse, Nåværende
Reguleringsplaner
Id: 1982014 (https://www.arealplaner.no/3201/gi?funksjon=VisPlan&kommunenummer=3201&planidentifikasjon=1982014)
Navn: JUTERUDDALEN
Plantype: Eldre reguleringsplan
Status: Endelig vedtatt arealplan
Ikrafttredelse: 22.06.1984
Bestemmelser: - https://www.arealplaner.no/3201/dokumenter/8927/1982014.pdf
Delarealer: Delareal 688 m²
Formål: Frittliggende småhusbebyggelse
Besøk kommunens hjemmeside for mer informasjon.
Ligningsverdi / formuesverdi
Formuesverdien er ikke beregnet. Skatteetaten kommer til å beregne formuesverdien med utgangspunkt i boligverdien. Boligverdien er basert på kvadratmeterpris multiplisert med boligens areal. Kvadratmeterprisen hentes fra SSB sine statistiske opplysninger.
Formuesverdien utgjør hhv. 25% av boligverdien for primærboliger (der boligeier er folkeregistrert pr. 1. januar) og 90% for sekundærboliger (øvrige boliger).
Heftelser / servitutter
På eiendommen er det tinglyst følgende heftelser og rettigheter som følger eiendommens matrikkel ved overskjøting til ny hjemmelshaver:
3201/54/293:
25.06.1949 - Dokumentnr: 3853 - Bestemmelse om deleforbud
Bestemmelse om bebyggelse
Bestemmelse om kloakkledning
Bestemmelse om vannledning
Med flere bestemmelser
Overført fra: Knr:3201 Gnr:54 Bnr:41
Gjelder denne registerenheten med flere
01.07.1950 - Dokumentnr: 5058 - Best. om vann/kloakkledn.
Kan ikke slettes uten samtykke fra kommunen
Overført fra: Knr:3201 Gnr:54 Bnr:41
Gjelder denne registerenheten med flere
15.05.2018 - Dokumentnr: 766795 - Bestemmelse om veg
Rettighetshaver: Knr:3201 Gnr:51 Bnr:43
Gjelder også for utskilte parseller
Overført fra: Knr:3201 Gnr:54 Bnr:41
Gjelder denne registerenheten med flere
15.05.2018 - Dokumentnr: 766795 - Bestemmelse om veg
Rettighetshaver: Knr:3201 Gnr:51 Bnr:253
Gjelder også utskilte parseller
Overført fra: Knr:3201 Gnr:54 Bnr:41
Gjelder denne registerenheten med flere
15.05.2018 - Dokumentnr: 766795 - Bestemmelse om veg
Rettighetshaver: Knr:3201 Gnr:51 Bnr:215
Gjelder også utskilte parseller
Overført fra: Knr:3201 Gnr:54 Bnr:41
Gjelder denne registerenheten med flere
15.05.2018 - Dokumentnr: 766795 - Bestemmelse om veg
Rettighetshaver: Knr:3201 Gnr:51 Bnr:285
Gjelder også utskilte parseller
Overført fra: Knr:3201 Gnr:54 Bnr:41
Gjelder denne registerenheten med flere
15.05.2018 - Dokumentnr: 766795 - Bestemmelse om veg
Rettighetshaver: Knr:3201 Gnr:54 Bnr:42
Gjelder også utskilte parseller
Overført fra: Knr:3201 Gnr:54 Bnr:41
Gjelder denne registerenheten med flere
15.05.2018 - Dokumentnr: 766795 - Bestemmelse om veg
Gjelder også utskilte parseller
Overført fra: Knr:3201 Gnr:54 Bnr:41
Gjelder denne registerenheten med flere
15.05.2018 - Dokumentnr: 766795 - Bestemmelse om veg
Rettighetshaver: Knr:3201 Gnr:54 Bnr:98
Gjelder også utskilte parseller
Overført fra: Knr:3201 Gnr:54 Bnr:41
Gjelder denne registerenheten med flere
15.05.2018 - Dokumentnr: 766795 - Bestemmelse om vann/kloakk
Rettighetshaver: Knr:3201 Gnr:51 Bnr:43
Overført fra: Knr:3201 Gnr:54 Bnr:41
Gjelder denne registerenheten med flere
15.05.2018 - Dokumentnr: 766795 - Bestemmelse om vann/kloakk
Rettighetshaver: Knr:3201 Gnr:51 Bnr:253
Overført fra: Knr:3201 Gnr:54 Bnr:41
Gjelder denne registerenheten med flere
15.05.2018 - Dokumentnr: 766795 - Bestemmelse om vann/kloakk
Rettighetshaver: Knr:3201 Gnr:51 Bnr:215
Overført fra: Knr:3201 Gnr:54 Bnr:41
Gjelder denne registerenheten med flere
15.05.2018 - Dokumentnr: 766795 - Bestemmelse om vann/kloakk
Rettighetshaver: Knr:3201 Gnr:51 Bnr:285
Overført fra: Knr:3201 Gnr:54 Bnr:41
Gjelder denne registerenheten med flere
15.05.2018 - Dokumentnr: 766795 - Bestemmelse om vann/kloakk
Rettighetshaver: Knr:3201 Gnr:54 Bnr:42
Overført fra: Knr:3201 Gnr:54 Bnr:41
Gjelder denne registerenheten med flere
15.05.2018 - Dokumentnr: 766795 - Bestemmelse om vann/kloakk
Overført fra: Knr:3201 Gnr:54 Bnr:41
Gjelder denne registerenheten med flere
15.05.2018 - Dokumentnr: 766795 - Bestemmelse om vann/kloakk
Rettighetshaver: Knr:3201 Gnr:54 Bnr:98
Overført fra: Knr:3201 Gnr:54 Bnr:41
Gjelder denne registerenheten med flere
15.05.2018 - Dokumentnr: 766795 - Bestemmelse om fiber-/data-/telekabel
Rettighetshaver: Knr:3201 Gnr:51 Bnr:43
Overført fra: Knr:3201 Gnr:54 Bnr:41
Gjelder denne registerenheten med flere
15.05.2018 - Dokumentnr: 766795 - Bestemmelse om fiber-/data-/telekabel
Rettighetshaver: Knr:3201 Gnr:51 Bnr:285
Overført fra: Knr:3201 Gnr:54 Bnr:41
Gjelder denne registerenheten med flere
15.05.2018 - Dokumentnr: 766795 - Bestemmelse om fiber-/data-/telekabel
Rettighetshaver: Knr:3201 Gnr:54 Bnr:42
Overført fra: Knr:3201 Gnr:54 Bnr:41
Gjelder denne registerenheten med flere
15.05.2018 - Dokumentnr: 766795 - Bestemmelse om fiber-/data-/telekabel
Overført fra: Knr:3201 Gnr:54 Bnr:41
Gjelder denne registerenheten med flere
15.05.2018 - Dokumentnr: 766795 - Bestemmelse om fiber-/data-/telekabel
Rettighetshaver: Knr:3201 Gnr:54 Bnr:98
Overført fra: Knr:3201 Gnr:54 Bnr:41
Gjelder denne registerenheten med flere
15.05.2018 - Dokumentnr: 766795 - Bestemmelse om fiber-/data-/telekabel
Rettighetshaver: Knr:3201 Gnr:51 Bnr:253
Overført fra: Knr:3201 Gnr:54 Bnr:41
Gjelder denne registerenheten med flere
15.05.2018 - Dokumentnr: 766795 - Bestemmelse om fiber-/data-/telekabel
Rettighetshaver: Knr:3201 Gnr:51 Bnr:215
Overført fra: Knr:3201 Gnr:54 Bnr:41
Gjelder denne registerenheten med flere
15.11.2018 - Dokumentnr: 1554230 - Bestemmelse om vann/kloakk
Rettighetshaver: Knr:3201 Gnr:54 Bnr:41
Kan ikke slettes uten samtykke fra: Bærum Kommune
Org.nr: 935 478 715
Bestemmelse om vedlikehold av anlegg/ledninger
15.11.2018 - Dokumentnr: 1554263 - Erklæring/avtale
Kan ikke slettes uten samtykke fra: Bærum Kommune
Org.nr: 935 478 715
Plikt til opparbeidelse av kommunalteknisk anlegg
Bestemmelse om refusjon
08.12.2020 - Dokumentnr: 3455672 - Bestemmelse om vann/kloakk
Rettighetshaver: Bærum Kommune
Org.nr: 935 478 715
Bestemmelse om grøfter/kummer
Adkomstrett for drift og vedlikehold av anlegg/ledninger/kabler
Bestemmelse om bebyggelse i nærheten av anlegg/ledninger/kabler
15.11.2018 - Dokumentnr: 1554215 - Registrering av grunn
Denne matrikkelenhet opprettet fra:
Knr:3201 Gnr:54 Bnr:41
01.01.2020 - Dokumentnr: 81540 - Omnummerering ved kommuneendring
Tidligere: Knr:0219 Gnr:54 Bnr:293
01.01.2024 - Dokumentnr: 70015 - Omnummerering ved kommuneendring
Tidligere: Knr:3024 Gnr:54 Bnr:293
16.05.2024 - Dokumentnr: 1448474 - Arealoverføring
Areal overført til: Knr:3201 Gnr:51 Bnr:43
Vederlag: NOK 0
Omsetningstype: Annet
Diverse
Kjøper og selger er forpliktet til å undertegne standard kjøpekontrakt utarbeidet av Nordvik i forbindelse med eiendomstransaksjonen. Kjøpekontrakt kan besiktiges hos eiendomsmegler før bud inngis. Kontakt eiendomsmegler for spørsmål.
Salgsoppgaven er basert på selgers opplysninger til megler. Videre er det innhentet opplysninger fra kommunen og andre relevante kilder. Tomtegrenser er ikke kontrollert.
Overtakelse
Overtakelse skjer etter avtale med selger.
Før boligen overleveres kjøper, skal fullt oppgjør og omkostninger være mottatt på meglers klientkonto.
Boligselgerforsikring
Selger har tegnet boligselgerforsikring.
Sentrale lover
Generelle bestemmelser
Salgsoppgaven er basert på de opplysningene selger har gitt til megler, samt opplysninger innhentet fra kommunen, Kartverket og andre tilgjengelige kilder. Det er viktig at kjøper setter seg grundig inn i alle salgsdokumentene, herunder salgsoppgave, tilstandsrapport og selgers egenerklæring. Kjøper anses kjent med forhold som er tydelig beskrevet i salgsdokumentene, og slike forhold kan ikke påberopes som mangler. Dette gjelder uavhengig av om kjøper har lest dokumentene.
Alle interessenter oppfordres til å undersøke eiendommen nøye, gjerne sammen med fagkyndig før bud inngis. Kjøper som velger å kjøpe usett kan ikke gjøre gjeldende som mangel noe han burde blitt kjent med ved undersøkelsen.
Dersom det er behov for avklaringer, anbefaler vi at interessenter rådfører seg med eiendomsmegler eller egne rådgivere før det legges inn bud.
Kjøper og selgers rettigheter og plikter reguleres av avtalen mellom partene, samt informasjonen som har vært tilgjengelig for kjøperen i forbindelse med handelen. Avtalen utfylles av avhendingsloven, og det gjelder ulike avtalevilkår avhengig av om kjøper er forbrukerkjøper eller ikke. Dette er nærmere beskrevet nedenfor.
På grunn av ulike avtalevilkår kan selger vurdere bud fra en som ikke er forbruker, ulikt fra en forbrukers bud. Dersom kjøper ikke er forbruker, er selger sitt mulige mangelsansvar begrenset fordi eiendommen selges "som den er". Selger kan ikke ta som den er forbehold ovenfor en forbrukerkjøper. Selv et lavere bud fra en som ikke er forbruker kan foretrekkes fordi begrensningen i mulig mangelsansvar kan ha egenverdi for selger. Selger står fritt til å forkaste eller akseptere ethvert bud, og er for eksempel ikke forpliktet til å akseptere høyeste bud.
Budgiver skal i budskjema avgi egenerklæring om budgiver er forbruker eller næringsdrivende/ person som hovedsakelig handler som ledd i næringsvirksomhet. Budgivere får informasjon dersom andre bud er inngitt av en som ikke er forbruker.
Forbrukerkjøp - definisjon
Med forbrukerkjøp menes kjøp av eiendom når kjøperen er en fysisk person som ikke hovedsakelig handler som ledd i næringsvirksomhet.
Forbruker avtalevilkår
Eiendommen har en mangel dersom den ikke er i samsvar med kravene som følger av avtalen, eller det foreligger brudd på bestemmelsene i avhendingsloven §§ 3-2 til 3-8. Det samme gjelder hvis det er holdt tilbake eller gitt uriktige opplysninger om eiendommen. Dette gjelder likevel bare dersom man kan gå ut ifra at det virket inn på avtalen at opplysningen ikke ble gitt eller at feil uriktige opplysninger ikke blir rettet i tide på en tydelig måte.
Eiendommen kan ha en mangel etter avhendingsloven § 3-3 dersom det er avvik mellom opplyst og faktisk areal, forutsatt at arealet er vesentlig mindre enn opplyst. Ved beregning av et eventuelt prisavslag eller erstatning må kjøper selv dekke tap/kostnader opptil et beløp på kr 10 000 (egenandel).
Ikke-forbruker (næringsdrivende) definisjon
Hvis kjøper er en juridisk person, eller en fysisk person som hovedsakelig handler som ledd i næringsvirksomhet, vil kjøpet ikke anses som et forbrukerkjøp.
Ikke-forbruker avtalevilkår
Eiendommen har en mangel dersom den ikke er i samsvar med kravene som følger av avtalen. Eiendommen selges som den er , og selgers ansvar utover det konkret avtalte er da begrenset etter avhendingsloven § 3-9, første ledd andre setning.
Informasjon om kjøpers undersøkelsesplikt, herunder oppfordringen om å undersøke eiendommen nøye, gjelder også for kjøpere som ikke anses som forbrukere.
Hvitvaskingsregelverk
Eiendomsmeglere er underlagt lov om hvitvasking og tilhørende forskrift. Etter hvitvaskingsloven er eiendomsmegler pålagt å gjennomføre kundetiltak av både selger og kjøper.
Hvis kjøper ikke bidrar til at megler får gjennomført kundetiltak, og dette fører til at transaksjonen ikke kan gjennomføres eller blir forsinket, misligholder kjøper avtalen. Etter 30 dager anses misligholdet vesentlig, og selger har rett til å heve avtalen og gjennomføre dekningssalg for kjøpers regning. Dersom det er selger som ikke bidrar til at megler får gjennomført løpende kundetiltak underveis i oppdraget må eiendomsmegler stanse gjennomføringen av transaksjonen. Selger vil i et slikt tilfelle ha misligholdt sine forpliktelser, og kjøper vil kunne ha et krav mot selger etter avhendingsloven.
Hvis kundetiltak ikke lar seg gjennomføre, vil Nordvik Eiendomsmegling ikke kunne bistå med handelen eller foreta oppgjør.
Budgivning
Alle bud skal inngis skriftlig til megler, som formidler disse videre til selger. Kravet til skriftlighet gjelder også budforhøyelser og motbud, aksept eller avslag fra selger.
Bud kan legges inn på eiendommens finn-annonse ved å trykke på knappen gi bud eller via vår hjemmeside. Ved elektronisk budgivning legges bud inn ved å benytte BankID. Bud kan også inngis på budskjema vedlagt i salgsoppgaven.
Før megler formidler bud til selger, skal megler innhente gyldig legitimasjon og signatur fra budgiver. Kravet til legitimasjon og signatur er oppfylt for budgivere som benytter e-signatur, eksempelvis BankID eller MinID. Senere bud kan inngis per e-post eller SMS til megler.
Et bud bør inneholde eiendommens adresse (eventuelt gnr/bnr), kjøpesum, budgivers kontaktinformasjon, finansieringsplan, akseptfrist, overtakelsesdato og eventuelle forbehold som for eksempel usikker finansiering, salg av nåværende bolig ol. Normalt vil ikke et bud med forbehold bli akseptert før forbeholdet er avklart. Konferer gjerne med megler før bud avgis.
Megler skal legge til rette for en forsvarlig avvikling av budrunden. I forbrukerforhold (dvs. der selger er forbruker) skal megleren ikke formidle bud med kortere akseptfrist enn kl. 12.00 første virkedag etter siste annonserte visning. Senere bud må ha en tilstrekkelig lang akseptfrist til at megler, så langt det er nødvendig og mulig, kan videreformidle budet og eventuelle forbehold til alle involverte parter og legge til rette for at disse får tid til å områ seg, jf. forskrift om eiendomsmegling § 6-3. Akseptfrist bør derfor være på minimum 30 minutter, og budforhøyelser bør skje senest 10 minutter før fristens utløp. Dersom bud inngis med en frist som åpenbart er for kort til at megleren kan avvikle budrunden på en forsvarlig måte, vil megler fraråde budgiver å stille slik frist. Megleren vil uoppfordret gi sin vurdering av det enkelte bud overfor selgeren, når budet er gitt innenfor akseptfristene ovenfor.
Megler skal så snart som mulig bekrefte skriftlig overfor budgivere at budene deres er mottatt.
Etter at handel har kommet i stand, eller dersom en budrunde avsluttes uten at handel er kommet i stand, kan en budgiver kreve kopi av budjournalen i anonymisert form.
Kopi av budjournal skal gis til kjøper og selger uten ugrunnet opphold etter at handel er kommet i stand. Dersom det er viktig for budgiver å bevare sin anonymitet, bør budet fremmes gjennom fullmektig.
For mer informasjon om budgivningsprosessen, se Forbrukerinformasjon om budgivning , som er vedlagt salgsoppgaven, eller ta kontakt med megler.
Vedlegg til Salgsoppgaven
Vedleggene er en del av den komplette salgsoppgaven. Det er viktig at interessenter setter seg godt inn i vedleggene og kontakter megler med eventuelle spørsmål før bud inngis.
Ansvarlig megler
Fridtjof Schmidt
Nyttige lenker
Nordvik Bærum
Nærområdet
Annonseinformasjon
| FINN-kode | 357337448 |
|---|---|
| Sist endret | 13. jan. 2026 13:00 |
| Referanse | 56-0097/24 |
Annonsene kan være mangelfulle i forhold til lovpålagt opplysningsplikt. Før bindende avtale inngås oppfordres interessenter til å innhente komplett informasjon fra meglerforetaket, selger eller utleier.








