Bildegalleri

Situasjonsplan og illustrasjon av området
Oppaker, Nes - 6 nydelige eneboligtomter til salgs - to solgt!
- Totalpris
- 1 083 250 kr
- Omkostninger
- 28 500 kr
Nøkkelinfo
Fasiliteter
Visning
Ta kontakt for å avtale visning.Adkomst
Kjør E6 i retning Gardermoen. Ta av mot Kløfta og følg E16 til Vormsund, kjør deretter videre i ca 5-10 minutter og se etter et stort skilt ved idrettsbanen på Oppaker. Kjør forbi skiltet og ta av første vei til høyre, Funnefossvegen. Kjør ca 500 m og se etter skiltet til Bjertnestunet til venstre.
Beliggenhet
Langs en 300 meter lang strandlinje ved Glomma har krattskogen veket for å gi plass til livskvalitet, trygghet og glede! På Glomma Idyll ønsker vi å tilby boliger for mennesker i alle aldre og ulike livsfaser. Fordi vi mener at mangfold blant beboerne bidrar til et godt bomiljø. Vi tilbyr derfor et variert utvalg av nøkkelferdige boliger. Hos oss kan du realisere din boligdrøm!
Du finner et rikt tilbud av aktiviteter på Glomma Idyll og i områdene rundt. Vi har blant annet egen båtforening.
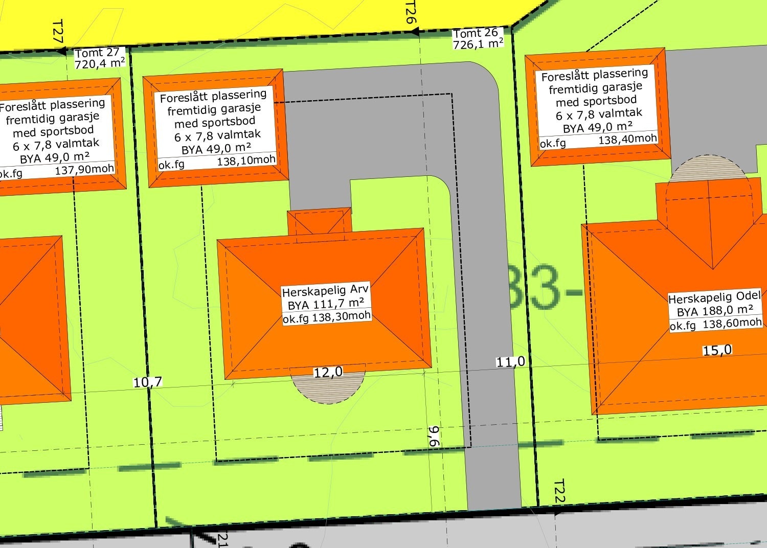
Her har vi 6 nydelige eneboligtomter for salg
Arealer fra 703 m2 - 856 m2
Prisoversikt:
Tomt 25 854,5 m2 - SOLGT!
Tomt 26 726,1 m2 - Pris 1.140.000
Tomt 27 720,4 m2 - SOLGT!
Tomt 28 855,6 m2 - Pris 1.250.000
Tomt 29 703,6 m2 - Pris 1.140.000
Tomt 30 851,2 m2 - Pris 1.140.000
Vi har mange hustyper å velge mellom, men om du går inn på www.glommaidyll.no kan du finne priser på tomtene inkludert en utvalgt boligtype. Det er byggeplikt med Norgeshus Harald Halvorsen på tomtene, fullstendig informasjon om dette får du av selger.
Beskaffenhet
Glomma Idyll - trivelig og barnevennlig
Velkommen til Glomma Idyll – til landlige og barnevennlige omgivelser med fantastiske turmuligheter.Her er det trygge oppvekstvilkår for barn, med nærhet til naturen og muligheter for mange fritidsaktiviteter. Det er gangavstand til marka med turstier, lysløyper og ei elv til å fiske i. En fantastisk badestrand ligger en kort spasertur unna. Idrettslaget FUVO har et flott anlegg med blant annet helårs kunstgressbane bare minutter unna, du finner to av Norges fineste golfbaner i nærheten, rideklubb og ishall. Nes kommune har dessuten et moderne kulturhus som tilbyr både musikk, teater og annen kultur gjennom hele året. Hører du til de som foretrekker turer i skog og mark er du i ditt rette element. Her er barnehager ikke langt unna. Skolebuss kommer hver morgen til rundkjøringen og henter barna som skal til barneskolen, og frakter de hjem igjen når skolen er slutt.
Mer enn 100 familier har flyttet inn på området. Familier som stortrives og ønsker nye naboer velkommen. Her er en etablert velforening hvor alle nye beboere får obligatorisk medlemsskap; Bjertnestunet velforening med en medlemskontingent i 2018 på 2000 kr.
Dette er et ønsket sted å være - i fantastiske omgivelser!
Avstander
- Vormsund 8 min
- Årnes 10 min
- Skarnes 15 min
- Jessheim 20 min
- Kløfta 20 min
- Gardermoen 30 min
- Kongsvinger 35 min
- Lillestrøm 35 min
- Oslo 45 min
- Charlottenberg ca 1 time
Barnehager
- Espira Opaker barnehage (1-6 år) 2,6 km
- Skogbygda barnehage 8,1 km
- Vormsund barnehage (0-5 år) 8,9 km
Skoler
- Skogbygda skole (1-7 kl) 7,6 km
- Vormsund ungdomsskole (8-10 kl) 8,1 km
Skolebuss kommer hver morgen til rundkjøringen og henter barna som skal til barneskolen, og frakter de hjem igjen når skolen er slutt.
Videregåene skoler
- Nes videregående skole 8,2 km
- Skarnes videregående skole 14,4 km
Handel
- Joker Skogbygda 7,5 km
- Coop Mega Årnes 8,6 km
- Amfi Årnes 8,6 km (apotek, bokhandel, blomster, frisør, helsekost, interiør, jernvare, kafe, klær, vinmonopol)
- Esso Oppåker 2,4 km
Sport
- Oppakermoen balløkke 2,2 km
- Skogbygda Idrettsplass 7,5 km
- Spenst Årnes 9 km
- Nes Golfklubb 9,5 km
- Nes Rideklubb 14,5 km
- Family Sports Club Årnes 17,1 km
Offentlig transport
- Sliperisvingen, bussholdeplass 0,3 km
- Årnes togstasjon (pendlerparkering) 8 km
- Oslo Gardermoen flyplass 42,2 km
Regulering

Norgeshus Harald Halvorsen
Nærområdet
Annonseinformasjon
| FINN-kode | 323586363 |
|---|---|
| Sist endret | 18. des. 2025 11:38 |
| Referanse | xGlommaIdyll_tomterHHalvorsenx |
Annonsene kan være mangelfulle i forhold til lovpålagt opplysningsplikt. Før bindende avtale inngås oppfordres interessenter til å innhente komplett informasjon fra meglerforetaket, selger eller utleier.























