Bildegalleri

Utsikt - solrikt - fredelig - turområde - store og rimlige tomter
Hyttetomter i flott område - kun 10 fra Rauland. Vei, vann, avløp og strøm til tomtegrensa
- Totalpris
- 628 812 kr
- Omkostninger
- 28 812 kr
Nøkkelinfo
Fasiliteter
Visning
Om eiendommen
Beskrivelse
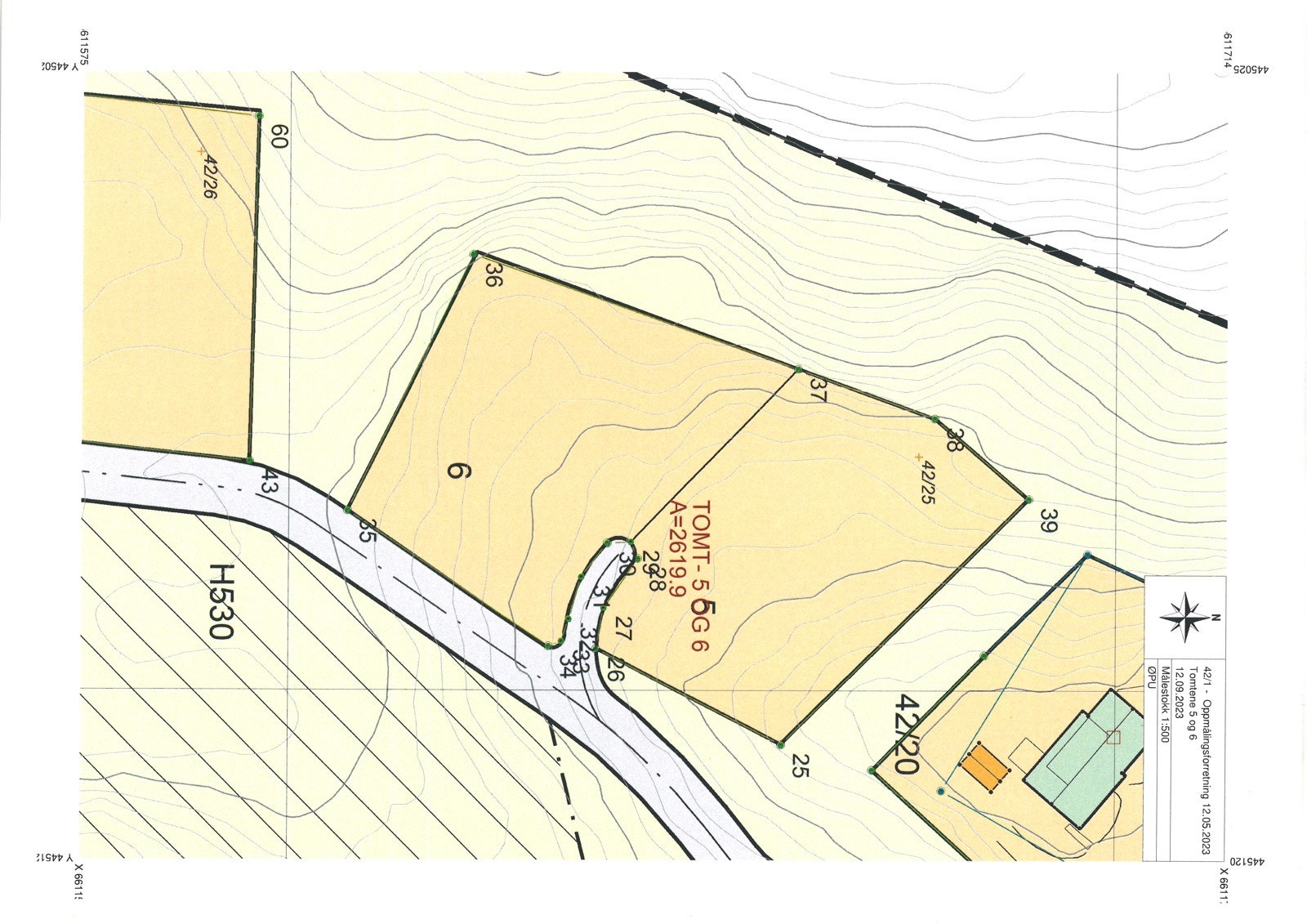
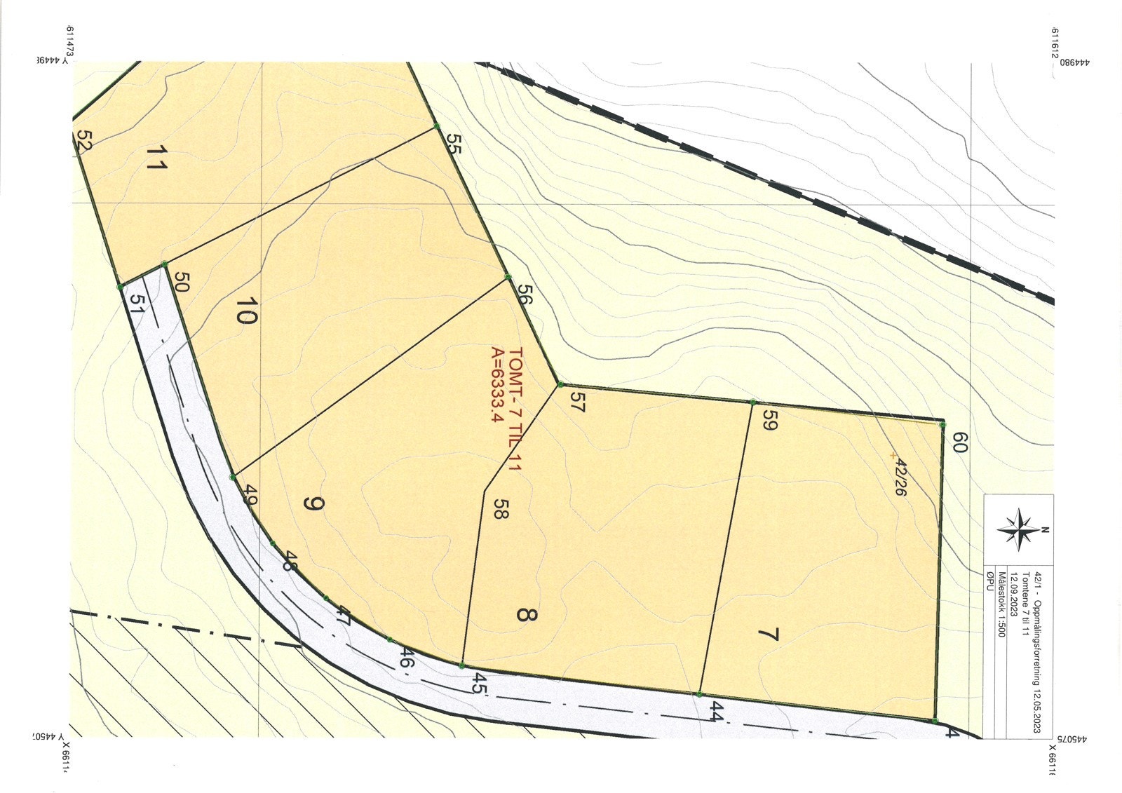
10 romslige eiendomstomter på totalt 12781 kvm som ligger fint og fredelig til på Vehus. Kun 10 km fra Rauland sentrum.
2 av tomtene er fradelt med hhv 1163 kvm og 1323 kvm, de resterende må deles med egne bnr. Se vedlagte kart som viser totalstørrelsen. Tomt 4 og 5 er solgt.
Flere av hyttene har flott utsikt til Totak, Raulandsfjell og Vehuskjerringa.
Tomtene ligger fint i terrenget, her er det spart mest mulig på den naturlige vegetasjonen ved etablering av veger inn i feltet. Hyttefeltet har også endel eldre hytter.
Flotte turområder sommer som vinter i umiddelabar nærhet.
Pris på tomtene er fra kr 600 000,- til 800.000,-
Tomt 1 -3: kr 600.000,-
Tomt 9 og 10: kr 800.000,-
Tomt 6, 7 og 8: kr 700.000,-
Tomt 11: kr 600.000,-
Beliggenhet
Området har en fredelig og fin beliggenhet ca 10 km fra Rauland sentrum, 13 km til Åmot sentrum.
Flott utsikt mot Totak og Raulandsfjell. Flotte turområder i umiddelbar nærhet hele året. Herfra kan en bla gå til Vehuskjerringa på 1356 moh som gir en flott utsikt utover store deler av Telemark.
På veg til Vehuskjerringa så kan en gjøre ett stopp ved en Steinbu/Halvorsbøle som ligger ved Reinstjønn på ca 1100 moh. Steinbua er åpen for alle og er en populær rasteplass og turmål.
Ca 700 meter fra hyttefeltet har grunneier også en egen støyl som det kan være fint å ta en rast ved, Øvre Solheim Støylen.
Området passer for de som ikke vil være i ett tett hyttefelt, men ha litt mer plass og ro rundt seg.
Samtidig som at det er kort avstand til Rauland med bla 150 km med oppkjørte skiløyper og alpinsenter. Sommer og høst er fjellheimen i Raulands området et yndet sted for toppturer, sykling, fiske og bading.
Ca. 20 minutter med bil i retning Rjukan, ankommer man Skinnarbu Nasjonalparkhotell med mange fasiliteter. Rett ved hotellet ligger også havna hvor båten Fjellvåken tar deg med inn til Hardangervidda. Fjellvåken går inn til Morgen turisthytte som er en populær base for fotturer innover viddene. Herfra kan man også gå fra hytte til hytte innover viddene. Hardangervidda regnes som Nord-Europas største høgfjellsplatå og er Norges største nasjonalpark.
Rauland sentrum er et lite handelssentrum med flere kafeer og kunstgalleri. Raulandsakademiet har mange kunst- og kulturaktiviteter gjennom året, spesielt rundt juletider. Her finner man matbutikker, sportsbutikk, jernvareforettning, blomsterbutikk, restaurant, kafé, bensinstasjon, svømmehall og idrettsanlegg.
Se visit Rauland sin hjemmeside for informasjon.
Løpende kostnader
Drift av renseanlegg kr 3.500,- pr hytte pr år. Hytteeierne er med på renseanlegget og vil være med å påvirke årlig avgift.
Vannavgift kr 500,- pr år.
Brøyting og sommervedlikehold av Øygardsvegen; kr 2.000,- pr år.
Brøyting inn til egen hytte kommer i tillegg etter avtale dersom dette ønskes.
Renovasjon til Vinje kommune pt; kr 3.274,- pr år.
Feiing kr 560,-
Strøm og forsikring.
Mulighet for påkobling av fiber.
Adkomst
Ca 12,5 km fra Åmot sentrum. 10 km fra Rauland sentrum, Krossen.
Fra Rauland følg vegen mot Åmot, Raulandsvegen. Kjør denne ca 8 km. Sving inn til venstre på Øygardsvegen, rett ovenfor Kostveit hyttefelt. Følg grusvegen innover hyttefeltet ca 2 km.
Formuesverdi
Formuesverdi blir fastsatt når hytte er ferdig bygd på tomta.
Formuesverdien fastsettes med utgangspunkt i en kvadratmeterpris, som beregnes av Statistisk sentralbyrå (SSB). Kvadratmeterprisen skal gi uttrykk for en estimert markedsverdi pr. kvadratmeter og bygger på statistiske opplysninger om omsatte boliger (boligtype, areal, geografisk beliggenhet og alder).
Ut fra kvadratmeterprisene til SSB fastsetter Skatteetaten årlige kvadratmetersatser. Disse satsene vil utgjøre hhv. 25% av kvadratmeterprisene for primærboliger (der boligeier er folkeregistrert pr. 1. januar) og 90% for sekundærboliger (alle andre boliger).
Regulering
Eiendommen er regulert til fritidsformål. Føresegner til bebyggelsesplan for del av Øygarden følger vedlagt. For ytterligere opplysninger om regulering, vennligst ta kontakt med megler.
Boligselgerforsikring
Selger har ikke tegnet boligselgerforsikring.
Boligkjøperpakke / Boligkjøperforsikring
Sammen med Tryg har vi skreddersydd boligkjøperpakke slik at du kan være trygg på at du har alle forsikringene du trenger. Enten du har kjøpt hus, leilighet eller hytte. Denne gunstige pakken fra Tryg inkluderer også juridisk hjelp hvis du oppdager feil og mangler ved boligen utover det som er opplyst om. Boligkjøperpakken inneholder innboforsikring, renteforsikring for situasjoner der kjøper ikke får solgt nåværende bolig, samt en flytteforsikring for alle de tre boligtypene. For hus og hytte omfatter den i tillegg bygningsforsikring hvor kostnader for å reparere eller gjenoppbygge huset ditt er inkludert. Les mer om forsikringen i produktark for Boligkjøperpakke som ligger vedlagt i salgsoppgaven. Boligkjøperpakken må tegnes senest i forbindelse med kontraktsmøte. Kjøper mottar ingen særskilt faktura for Boligkjøperpakken siden kostnaden det første året legges til oppgjøret for kjøpesummen for boligen. Megler/meglerforetak mottar honorar for denne formidlingen.
Budgivning
Vi oppfordrer alle til å lese Forbrukerinformasjon om budgivning før bud inngis. Alle bud og budforhøyelser skal inngis skriftlig til megler. I tillegg er megler pålagt å innhente gyldig legitimasjon og signatur fra budgiver før bud kan formidles til selger.
Kravet til legitimasjon og signatur er oppfylt for budgivere som benytter Bank-ID og vi oppfordrer derfor alle til å gi bud elektronisk ved å benytte GI BUD knappen på eiendommens hjemmeside på Partners.no. Eventuelle forhøyelser kan sendes ved å svare direkte på mottatt sms fra meglers system, til megler per e-post eller SMS: 90 99 87 02 . Alle budforhøyelser skal bekreftes av megler.
For at budene skal kunne bli behandlet og videreformidlet skriftlig til alle involverte parter, må alle bud ha en tilstrekkelig lang akseptfrist, jf. eiendomsmeglingsforskriften § 6-3. Selger må også skriftlig akseptere budet før aksept kan formidles til budgiver. Akseptfrist på alle bud skal være minimum 30 minutter, og budforhøyelser må skje i god tid før fristens utløp. Bud som ikke er skriftlig, eller som har kortere akseptfrist enn til kl. 12.00 dagen etter siste annonserte visning, vil ikke bli formidlet til selger. Selger står fritt til å akseptere eller forkaste et hvert bud og er således ikke forpliktet til å akseptere det høyeste budet på eiendommen. Etter at eiendommen er solgt vil kjøper og selger få tilsendt budjournal. Øvrige budgivere kan få utlevert kopi av budjournalen i anonymisert form.
Det gjøres oppmerksom på at budgiver også vil være den som vil stå som kjøper av eiendommen. Dersom man etter at bud er akseptert ønsker å endre hvem som skal stå som eier, forutsetter dette at selger godkjenner en slik endring. Alle involverte parter skal signere kjøpekontrakt og er solidarisk ansvarlig for kjøpet frem til oppgjør er gjennomført.
Lov om hvitvasking
Eiendomsmeglingsforetak plikter etter lov om hvitvasking å gjennomføre kontrollhandlinger knyttet til kjøper og selgers identitet og forhold knyttet til gjennomføringen av handelen. Dette omfatter også opplysninger om kundeforholdets formål og tilsikrede art. For kjøper må kontroll av legitimasjon skje senest ved inngåelse av kontrakt. Signering med bankID er regnet som gyldig legitimasjonskontroll. Ved oppdrag hvor juridiske personer (selskap) er part må eiendomsmegler også gjennomføre kontroll av hvilke fysiske personer som kontrollerer selskapet (reelle rettighetshavere). Dersom megler ikke klarer å gjennomføre pålagte kundetiltak må megler avvise kunden og oppdraget. Megler har også plikt å melde forhold som ikke er avklart og fremstår som mistenkelige til Økokrim. Megler kan også i enkelte tilfeller har plikt til å stanse gjennomføringen av handelen.
Eiendomsmegler plikter å gjennomføre ytterligere undersøkelser knyttet til handelen basert på kjøpers egenkapital eller andre forhold knyttet til kjøper. Kjøper oppfordres til å innbetale den delen av kjøpesummen som er egenkapital i en overføring fra egen bankkonto i norsk bank.
Salgsbetingelser
Eiendommen skal overleveres kjøper i tråd med det som er avtalt. Det er viktig at kjøper setter seg grundig inn i alle salgsdokumentene, herunder salgsoppgave, tilstandsrapport og selgers egenerklæring. Kjøper anses kjent med forhold som er tydelig beskrevet i salgsdokumentene. Forhold som er beskrevet i salgsdokumentene kan ikke påberopes som mangler. Dette gjelder uavhengig av om kjøper har lest dokumentene. Alle interessenter oppfordres til å undersøke eiendommen nøye, gjerne sammen med fagkyndig før bud inngis. Kjøper som velger å kjøpe usett kan ikke gjøre gjeldende som mangel noe han burde blitt kjent med ved undersøkelsen.
Dersom det er behov for avklaringer, anbefaler vi at kjøper rådfører seg med eiendomsmegler eller en bygningssakyndig før det legges inn bud.
Hvis eiendommen ikke er i samsvar med det kjøperen må kunne forvente ut ifra alder, type og synlig tilstand, kan det være en mangel. Det samme gjelder hvis det er holdt tilbake eller gitt uriktige opplysninger om eiendommen og dette har virket inn på avtalen. En bolig som har blitt brukt i en viss tid, har vanligvis blitt utsatt for slitasje og skader kan ha oppstått. Slik bruksslitasje må kjøper regne med, og det kan avdekkes enkelte forhold etter overtakelse som nødvendiggjør utbedringer. Normal slitasje og skader som nødvendiggjør utbedring, er innenfor hva kjøper må forvente og vil ikke utgjøre en mangel.
Boligen kan ha en mangel dersom det er avvik mellom opplyst og faktisk areal, forutsatt at avviket er på 2% eller mer og minimum 1 kvm.
Ved beregning av et eventuelt prisavslag eller erstatning må kjøper selv dekke tap/kostnader opptil et beløp på kr 10 000 (egenandel).
Dersom kjøper ikke er forbruker selges eiendommen som den er , og selgers ansvar er da begrenset jf. avhl. § 3-9, 2. pktm. Informasjon om kjøpers undersøkelsesplikt, herunder oppfordringen om å undersøke eiendommen nøye, gjelder også for kjøpere som ikke anses som forbrukere.
Eiendomsmegler standardkontrakt inneholder bl.a. bestemmelser om at hvis det foreligger vesentlig mislighold som bl.a. gir selger rett til å heve når det er gått 30 dager fra avtalt betalingstid, kjøper aksepterer dette som bindende for seg.
Avhendingsloven
Frivillig salg av fast eiendom reguleres av Lov om avhending av fast eiendom av 3. juli 1992 nr. 93.
Finansiering
Vi har løpende kontakt med finansinstitusjoner som kan tilby lån med konkurransedyktige betingelser. Hvis ønskelig formidler vi gjerne kontakt.
Heftelser
§ 6-1.Lovbestemt pant i fast eiendom.
(1) For skattekrav etter lov av 6. juni 1975 nr. 29 om eigedomsskatt til kommunane har vedkommende kommune panterett foran alle andre heftelser i den eiendom skattekravet gjelder.
(2) Samme panterett har en kommune og kommunale etater for følgende særlige eiendomsavgifter:
a) avfallsgebyr etter lov 13.mars 1981 nr. 6 om vern mot forurensninger og om avfall,
b) feieavgift etter brann- og eksplosjonsvernloven § 28 annet ledd
c) årsgebyr for vann og avløp etter lov 16. mars 2012 nr. 12 om kommunale vass- og avløpsanlegg.
På eiendommen kan det være tinglyst erklæringer/avtaler som for eksempel rett til kommunen til å anlegge vann- og kloakkledninger inkl. reparasjon av disse, bestemmelser om bebyggelsen, gjerder, vei og adkomstrettigheter. Disse erklæringene/avtalene vil følge eiendommen ved salg, og kan ikke slettes. For nærmere informasjon om dette gjelder denne eiendommen, se oversikten over tinglyste heftelser. Dersom det ønskes mer informasjon, kontakt megler
Adresse og matrikkel
Vehus, 3890, Vinje, Gnr. 42 bnr. 22 i Vinje kommune
Eier
Halvor Øygarden
Oppdragsnummer
48-23-0129
Meglers vederlag
Provisjon kr 35.000,- pr solgte tomt
Oppgjør Kr.4 000
Vedlegg til salgsoppgave og kjøpekontrakt
Vedlagt i salgsoppgaven foreligger det reguleringsbestemmelser med kart, tilstandsrapport, egenerklæringsskjema selger, energiattest mm. Alle interessenter oppfordres til å sette seg inn i fremlagte dokumenter før bud inngis. Ta gjerne kontakt med megler dersom du ønsker utlevert dine egne kopier av dokumentene.
Det gjøres oppmerksom på at Lokalmegleren & Partners Bø sine standard kjøpekontrakter blir benyttet i handelen, dersom det ikke avtales noe annet før handel har kommet i stand.
Behandling av personopplysninger
Det gjøres oppmerksom på at foretaket behandler personopplysninger og all behandling skjer iht. personvernregelverket. Meglerforetaket behandler kun personopplysninger som er nødvendig for å gjennomføre oppdraget. Det gjøres oppmerksom på at vi deler dine personopplysninger med offentlige myndigheter i den utstrekning det er nødvendig og med virksomheter som tilbyr tjenester for gjennomføring av oppdraget. For mer informasjon se personvernerklæring på vår hjemmeside.
Nyttige lenker
Lokalmegleren & Partners
Nærområdet
Annonseinformasjon
| FINN-kode | 320167950 |
|---|---|
| Sist endret | 22. okt. 2025 07:29 |
| Referanse | 48230129 |
Annonsene kan være mangelfulle i forhold til lovpålagt opplysningsplikt. Før bindende avtale inngås oppfordres interessenter til å innhente komplett informasjon fra meglerforetaket, selger eller utleier.



















