Bildegalleri

Utsikt
Flott tomt m/sjøutsikt - kort vei til Son Sentrum. Bebygd m/eldre hytte - Reg. for 2 eneboliger/VA-løsn. for 2 parseller
- Kommunale avg.
- 7 854 kr per år
- Totalpris
- 8 731 490 kr
- Omkostninger
- 231 490 kr
Nøkkelinfo
Visning
Om eiendommen
Beliggenhet
Stor eiendom på nesten 3,3 mål med kort vei til idylliske Son sentrum med sitt Sørlandspreg og sine mange tilbud.
Her finner du dagligvare, apotek, legekontor, tannlege, frisør, bibliotek, Vinmonopol, blomster, m.m. Hyggelige restauranter, Kystkultursenter og gallerier. Tettstedet Son har stor småbåthavn og en populær gjestehavn. Hotellet Son Spa har spaavdeling, treningssenter og restaurant.
Eiendommen ligger ikke langt fra Kolåstjern, og det er flere offentlige badestrender i området, som Krokstrand, Kjøvangen, Laksa og Sonsstranda. Kort gangavstand til store sammenhengende naturområder.
Det er kort vei til Son barneskole og Grevlingen ungdomsskole. Tog fra Sonsveien til Oslo S tar ca. 28 min. Pendleravstand til Oslo sentrum er ca. 45 minutters kjøreavstand. Soon Golfbane ligger i nærheten med sin 9-hullsbane.
Beskrivelse av tomt
Tomten er på rett under 3,3 mål (beregnet areal) iht. opplysninger fra kommunen. Eiet tomt med påstående hytte/fritidsbolig, anneks og carport.
På eiendommen ligger det tinglyst to heftelser fra 1954 (dagboknummer 3650) som var del av en festekontrakt (eiendommen var tidligere festet). Selger fikk medhold i begjæring om sletting av festekontrakt, men Kartverket krevde at bestemmelsen om velforening/huseierforening og krav om tilknytning av elektriske ledninger, vann- og avløpsledninger måtte bestå, selv om selve festekontrakten slettes (berører i en viss grad 3. person). Festekontrakten er således vedlagt salgsoppgaven.
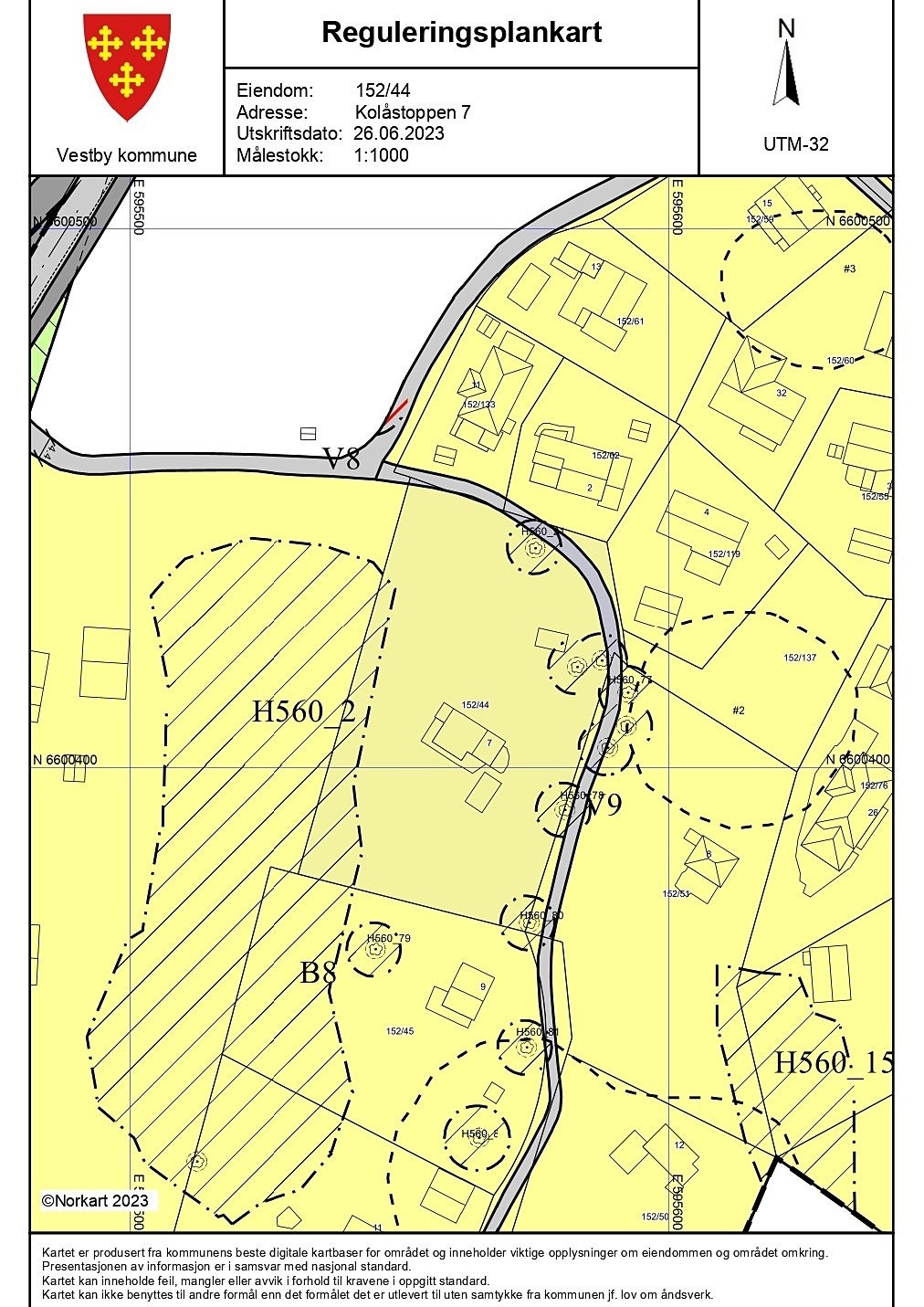
Iht. Områdereguleringsplan Kolås er ca. 3,2 mål av tomten regulert til boligbebyggelse-frittliggende småhusbebyggelse. Minste tomtestørrelse ved fradeling er 1 500 m2, og tomten åpner dermed for fradeling og etablering av 2 boligenheter. Se for øvrig salgsoppgavens avsnitt om regulering. Interessenter bes sette seg nøye inn i reguleringensplanens plankart og bestemmelser.
Bebyggelse
Eiendommen ligger innenfor Områdereguleringsplan Kolås og er regulert til boligbebyggelse. Eksisterende bebyggelse er en eldre hytte, anneks og enkel carport av begrenset verdi. Det er ikke utført tilstandsrapport på denne bebyggelsen, som derav heller ikke er oppmålt. Eiendommen kan fortsatt benyttes som fritidseiendom (eksisterende bebyggelse kan dog ikke utvides), men selger finner det naturlig at eksisterende bebyggelse rives og at ny boligbebyggelse (to eneboliger etter fradeling) etableres i samsvar med reguleringsplanen. Den eksisterende bebyggelsen er standard rivningsobjekt. Det er dermed ikke tatt høyde for denne eksisterende bebyggelsen i forhold til prissetting eller øvrig av eiendommen. Konferer megler dersom spørsmål.
Oppvarming
Megler er ikke kjent med oppvarmings kilder i den eksisterende bebyggelsen.
Energimerking
Det er ikke utført energimerking for den eksisterende bebyggelsen.
Energimerking er et konkret miljøtiltak for å øke bevisstheten om energibruken og hva som kan gjøres for å få en mer energieffektiv bolig. Det kan bidra til at samlet energiforbruk i boliger og bygninger går ned og miljøet spares ved at behovet for å bygge ut ny energi blir mindre. Energiattesten viser bygningens energistandard og beregnes uavhengig av hvordan de som bor der bruker boligen. Energimerket er en karakterskala som går fra A (best) til G (svakest). Karakteren er den samlede vurderingen av boligen og er basert på beregnet levert energi, dvs. antall kilowatt-timer som boligen trenger pr. kvadratmeter for normalt forbruk.
Adkomst
Eiendommen har adkomst fra Kolåsveien (fylkesvei), og via Gamle Kolåsveien og Kolåstoppen (private veier). En del av eiendommen (ca. 95 kvm) er regulert til formål kjørevei (feltnavn V9), og en del av de nærliggende eiendommene har sin adkomst over dette veiarealet.
Det er etablert Østre Kolås veilag for felles drift av disse private veiene (ikke offentlig vei).
Eventuelt ny utskilt eiendom fra 152/44 (i samsvar med Områdereguleringsplan Kolås oppfyller eiendommen krav til fradeling) forutsettes å slutte seg til veilaget. Ved evt. fradeling av en ny eiendom fra 152/44, skal eksisterende og ny eiendom sikres tilsvarende adkomst iflg.selger. Konferer selger/megler dersom spørsmål.
Adgang til utleie
Det foreligger ingen begrensning fra kommune eller vedtekter om utleie av hele boligen som en bruksenhet.
Boligselgerforsikring
Pga. vilkårsbegresninger er boligselgerforsikring ikke tegnet av eier.
Betalingsbetingelser
Kjøpesum med tillegg av omkostninger skal være disponibelt på meglers klientkonto innen overtakelse.
Overtakelse
Etter nærmere avtale. Angi ønsket overtakelse i Deres bud.
Lovanvendelse
Eiendommen selges etter reglene i avhendingsloven. Eiendommen skal overleveres kjøper i tråd med det som er avtalt. Det er viktig at kjøper setter seg grundig inn i alle salgsdokumentene, herunder salgsoppgave, tilstandsrapport og selgers egenerklæring. Kjøper anses kjent med forhold som er tydelig beskrevet i salgsdokumentene, og disse kan ikke påberopes som mangler. Forbehold om eiendommens tilstand som er tilstrekkelig spesifisert, anses som en del av avtalen. Disse vil derfor heller ikke kunne påberopes som en mangel. Dette gjelder uavhengig av om kjøper har lest dokumentene. Alle interessenter oppfordres til å undersøke eiendommen nøye, gjerne sammen med bygningssakkyndig før bud inngis. Kjøper som velger å kjøpe usett kan ikke gjøre gjeldende som mangel noe han burde blitt kjent med ved undersøkelsen. Det samme gjelder unnlatelse av å undersøke forhold på visning/før bud inngis. Dersom det er behov for avklaringer, anbefaler vi at kjøper rådfører seg med eiendomsmegler eller en bygningssakkyndig før det legges inn bud.
Hvis eiendommen ikke er i samsvar med det kjøperen må kunne forvente ut ifra alder, type og synlig tilstand, kan det utgjøre en mangel. Det samme gjelder hvis det er holdt tilbake eller gitt uriktige opplysninger om eiendommen, og dette har virket inn på avtalen. Det kan ikke forventes at en eldre bolig har samme tilstand som en ny eller nyere bolig. En bolig som har blitt brukt i en viss tid, har vanligvis blitt utsatt for slitasje og skader kan ha oppstått. Slik bruksslitasje må kjøper regne med, og det kan avdekkes enkelte forhold etter overtakelse som nødvendiggjør utbedringer. Normal slitasje og skader som nødvendiggjør utbedring, er innenfor hva kjøper må forvente og vil ikke utgjøre en mangel.
Boligen kan ha en mangel dersom det er avvik mellom opplyst og faktisk areal. Dette forutsatt at avviket er på 2 % eller mer, minimum 1 kvm, og kjøper la vekt på opplysningen.
Ved beregning av et eventuelt prisavslag eller erstatning må kjøper selv dekke tap/kostnader opptil et beløp på kr. 10 000 (egenandel). Dette beløpet har ikke betydning for vurderingen om det foreligger en mangel. Beløpet kommer imidlertid til fradrag i en eventuell utmåling av prisavslag eller erstatning, dersom det er mangel ved eiendommen som selger er ansvarlig for.
Dersom kjøper ikke er forbruker selges eiendommen som den er , og selgers ansvar er da begrenset jf. avhl. § 3-9, 2. pktm. Informasjon om kjøpers undersøkelsesplikt, herunder oppfordringen om å undersøke eiendommen nøye, gjelder også for kjøpere som ikke anses som forbrukere.
Budgivning
Bud kan legges inn på nettannonsen på "Gi bud knappen" eller via våre hjemmesider. Ved elektronisk budgivning så kan bud legges inn trygt og enkelt med bank-ID. Megler kan også kontaktes for tilsendelse av budkjema og budskjema finnes også i salgsoppgaven.
All budgivning må foregå ved skriftlighet, i tillegg må legitimasjon fremlegges. Forhøyelser bør også alltid inngis skriftlig, og vi oppfordrer alltid til at megler kontaktes pr. telefon i tillegg, ettersom det kan være forsinkelser på SMS-trafikk og e-post.
Skal budene bli behandlet og videreformidlet skriftlig til alle involverte parter, må alle bud ha en tilstrekkelig lang akseptfrist, jf. eiendomsmeglingsforskriften § 6-3.
Selger må skriftlig akseptere budet før aksept kan formidles til budgiver. Akseptfrist bør derfor være på minimum 30 minutter, og budforhøyelser må derfor skje i god tid før fristens utløp, helst 10 minutter før stående bud løper ut.
Bud kan ikke ha kortere frist enn kl. 12.00 første virkedag etter siste annonserte visning. Etter at eiendommen er solgt vil kjøper og selger få tilsendt budjournal. Øvrige budgivere kan få utlevert kopi av budjournalen i anonymisert form.
Ikke nøl med å ta kontakt dersom det er behov for bistand for å gi bud.
Vedlegg til Salgsoppgaven
Det forutsettes at interessenter gjør seg kjent med alle salgsoppgavens vedlegg før inngivelse av bud. Kontakt megler ved spørsmål.
Diverse
Eksisterende bebyggelse (sommerhytte, anneks og enkel carport) er av begrenset verdi, og som nevnt finner selger det naturlig at dette rives og at boligbebyggelse etableres i samsvar med reguleringsplanen.
Kommunen opplyser følgende:
Er bygninger registrert i SEFRAK-register? Nei
Mangler det dokumenter for noen av tiltakene på eiendommen? Nei
Ulovlige tiltak? Nei
Byggesaker under behandling? Nei
Megler har dog ikke fått oversendt brukstillatelse eller ferdigattest for bebyggelsen, kun notat om byggemelding av sommerhytten (1955) inkl. tegninger, samt en utskrift fra møtebok vedr. tilbygg til sommerhytten (1958) som opplyser at saken utsettes da etaten ber om tilsendt ytterligere plantegning. Kommunen opplyser dog, som nevnt over, at det ikke mangler dokumenter for noen av tiltakene på eiendommen.
Det er ikke kontrollert om tomtegrenser stemmer med de grenser/gjerder/ beplantning som fysisk er satt. Det kan være avvik fra dagens rombruk/rombenevnelse i forhold til det opprinnelige byggemeldte/godkjente.
Det gjøres oppmerksom på at megler ikke har innhentet særskilte opplysninger om det finnes pålegg fra E-verk eller brann-/feiervesen på eiendommen.
Egen forsikring må tegnes av kjøper.
Meglerkontoret er tilknyttet Reklamasjonsnemda for Eiendomsmeglingstjenester, og eventuelle tvister kan forelegges for nemndas behandling.
Alle eiendomsmeglerforetak har lovpålagt forsikring av klientmidler begrenset opptil kr 45 millioner. Enkeltsaker er forsikret inntil kr 15 millioner. Dersom kjøpers låneinstitusjon krever tilleggsforsikring ved omsetning over kr 15 millioner, må kjøper selv eller dennes låneinstitusjon dekke utgiftene forbundet med dette.
Det økonomiske oppgjøret mellom partene utføres av Sem & Johnsen Oppgjør og Administrasjon AS (org.nr. 999 638 996, pb. 1613 Vika, 0119 Oslo), ved ansvarlig oppgjørsmedhjelper: Rita Bråten, Kathrine Fjeldberg, Christian R. Sunde, Kristine Dahl, Kristin Nornes-Moen.
Sem & Johnsens kjøpekontrakt vil bli benyttet som rammeverk for avtalen, og det vil ikke kunne gjøres i endringer i kontrakten etter bud er akseptert. Utkast kan fås ved henvendelse til megler før bud inngis.
Interessenter oppfordres til å lese hele salgsoppgaven og alle bilag nøye. Salgsoppgaven er basert på selgers opplysninger gitt til bygningssakkyndig og megler, samt opplysninger innhentet fra kommunen, evt. forretningsfører og andre tilgjengelige kilder. Kontakt megler dersom du har spørsmål. Interessenter oppfordres til å komme på visning og å undersøke eiendommen godt, før bud inngis. Det forutsettes at kjøper gjør seg kjent med henviste dokumenter inkludert alle salgsoppgavens vedlegg før budgivning/kjøp.
Dersom ikke annet er opplyst/særskilt avtalt, gjelder Norges Eiendomsmeglerforbunds liste over løsøre og tilbehør som angir hva som bør følge med boliger og fritidsboliger ved salg. Særskilte avtaler om tilbehør må avtales før bindende avtale inngås, dvs. før budaksept. Listen kan fås ved henvendelse til megler og vil være et vedlegg til kontrakten mellom partene. Egen innboforsikring må tegnes av kjøper.
Regulering
Nyttige lenker
Sem & Johnsen
Nærområdet
Annonseinformasjon
| FINN-kode | 313991526 |
|---|---|
| Sist endret | 10. mai 2026 09:25 |
| Referanse | 20-23-1141 |
Annonsene kan være mangelfulle i forhold til lovpålagt opplysningsplikt. Før bindende avtale inngås oppfordres interessenter til å innhente komplett informasjon fra meglerforetaket, selger eller utleier.



















