Bildegalleri

EiendomsMegler 1 v/Kim Leite Slinning presenterer Alpinveien 207 - Stor fritidstomt på 1,6 mål i et populært hyttefelt i Svarstad.
Stor fritidstomt på 1.6 mål som er regulert til fritidsbebyggelse i et populært hyttefelt
- Totalpris
- 401 136 kr
- Omkostninger
- 11 136 kr
- Festeavgift
- 5 601 kr
Nøkkelinfo
Om eiendommen
Kort om eiendommen
Tomten har en god beliggenhet med kort vei til fjellet, badesteder og turområder. Svarstad kan tilby Holemyra som er et populært turområde, Huldrestier og Trollfoss i Larvik kommune som er en Vestfolds største fossefall.
En liten kjøretur på 15 minutter til Kjerra Fossepark som ligger ved siden av "Høyt & Lavt". En opplevelse! På vinteren kan du dra å utnytte bakkene der tidligere Svarstad skisenter lå. Borgen Skianlegg som ligger rett vest for Svarstad sentrum tilbyr langrenns opplevelser. Kongsberg skisenter som er 1 time unna har 5 heiser og flere vanskelighetsgrader.
Tomten er regulert til fritidsbebyggelse
Gjerne ta kontakt med megler ved spørsmål
Beliggenhet
Tomten har en god beliggenhet med kort vei til fjellet, badesteder og turområder. Svarstad kan tilby Holemyra som er et populært turområde, Huldrestier og Trollfoss i Larvik kommune som er en Vestfolds største fossefall. Fossen er en del av Dalelva som renner fra innsjøen Svartangen og ut i Numedalslågen. Svartangen ligger inne på skogen ca. 7 km sørvest for Svarstad. For øvrig er Kjærra Fossepark langs Numedalslågen et populært turmål hele året. Fosseparken ligger en kort kjøretur sør for Svarstad, ved siden av klatreparken Høyt & Lavt Vestfold.
På vinteren kan du dra å utnytte bakkene der tidligere Svarstad skisenter lå. Vest for Svarstad sentrum ligger også Borgen Skianlegg, som kan tilby oppkjørte langrennsløyper vinterstid. Borgen er svært omfattende, og korresponderer med skiløyper fra Skrim/Omholtfjell i nord til Vindfjell i sør. For øvrig er det i underkant av en time med bil til Kongsberg skisenter, som kan by på 5 heiser og totalt 12 km nedfarter fordelt på løyper av ulike vanskelighetsgrader.
Spisesteder som anbefales er Gavlestad Gjestegård og Fossekroa. Det er også mulighet for enkel servering på Klokkergården Bygdetun, som er et museum langs Krokenveien, på vei til hyttefeltet. Ved Svarstad sentrum finnes også dagligvareforretningene Rema 1000 og Spar. Ved Steinsholt, mellom Svarstad og Larvik, finnes det for øvrig søndagsåpen butikk.
Svarstad ligger kun halvannen times kjøring fra Oslo. Til byene Drammen, Tønsberg, Larvik, Kongsberg og Porsgrunn tar det ca. en time med bil.
Tomt
Festet tomt på 1.603 m².
Skrånede naturtomt bestående av diverse naturlig vegetasjon, blant annet trær og fjell. Av utkast til fremfestekontrakt fremkommer det at: "Skog og trær på tomten disponeres av bortfester. Fester kan få anledning til å overta de trær han måtte ønske mot tømmerverdi. Fester har ikke rett til selv å felle trær uten skriftlig samtykke."
Eiendommens areal er beregnet på grunnlag av de registrerte grensene i kartet som opplyses å være middels nøyaktig (>10
Grunneier: Anne Helen Opsahl
Bortfester: Svarstad Camping og Hyttegrend AS
Forholdet mellom bortfester og fremfester reguleres blant annet i henhold til Festekontrakt og Lov om tomtefeste med forskrifter.
Overdragelse av festeretten forutsetter at samtykke fra grunneier foreligger før overtagelse og tinglysing av skjøtet. Godkjenning kan bare nektes når det er saklig grunn til dette. Dersom godkjenning ikke er gitt innen to måneder fra det er søkt om så regnes dette ifølge tomtefesteloven som om godkjenning er gitt.
Det gjøres oppmerksom på at det er tinglyst en festekontrakt på eiendommen den 13.04.1989. Tinglyst festekontrakt er ikke gjeldende for fremfester, kun bortfester. Det er fremfestekontrakt som vil bli bindende for fremfester.
Utkast til fremfestekontrakt er vedlagt i salgsoppgaven. Det gjøres oppmerksom på at kjøper forplikter seg til å inngå fremfestekontrakt ved kjøp av tomten.
Radonmåling
Det er ikke utført radonmåling og det er heller ikke krav til dette. Kjøper overtar eiendommen slik og er selv ansvarlig for å utføre eventuelle tiltak. For mer informasjon vedrørende radon se www.dsa.no.
Adkomst
For veibeskrivelse henvises det til vedlagte kart i salgsoppgaven. Det vil bli skiltet med EiendomsMegler 1-skilt ved fellesvisning.
Boligselgerforsikring
Selger har ikke tegnet boligselgerforsikring.
Overtakelse
Etter nærmere avtale med selger. Vær vennlig å angi ønsket overtagelsesdato i vedlagte budskjema.
Sentrale lover
Eiendommen selges etter reglene i avhendingsloven.
Salgsoppgaven er basert på de opplysningene selger har gitt til bygningssakkyndig og megler, samt opplysninger innhentet fra kommunen, Statens kartverk og andre tilgjengelige kilder.
Eiendommen skal overleveres kjøper i tråd med det som er avtalt. Det er viktig at kjøper setter seg grundig inn i alle salgsdokumentene, herunder salgsoppgave, tilstandsrapport og selgers egenerklæring. Kjøper anses kjent med forhold som er tydelig beskrevet i salgsdokumentene. Forhold som er beskrevet i salgsdokumentene kan ikke påberopes som mangler. Dette gjelder uavhengig av om kjøper har lest dokumentene. Alle interessenter oppfordres til å undersøke eiendommen nøye, gjerne sammen med fagkyndig før bud inngis. Kjøper som velger å kjøpe usett kan ikke gjøre gjeldende som mangel noe han burde blitt kjent med ved undersøkelsen.
Dersom det er behov for avklaringer, anbefaler vi at kjøper rådfører seg med eiendomsmegler eller en bygningssakyndig før det legges inn bud.
Dersom kjøper ikke er forbruker selges eiendommen som den er , og selgers ansvar er da begrenset jf.§ 3-9 1. ledd 2. pktm. Informasjon om kjøpers undersøkelsesplikt, herunder oppfordringen om å undersøke eiendommen nøye, gjelder også for kjøpere som ikke anses som forbrukere.
På grunn av ulike avtalevilkår kan selger vurdere bud fra en som ikke er forbruker, ulikt fra en forbrukers bud. Dersom kjøper ikke er forbruker, er selger sitt mulige mangelsansvar begrenset fordi eiendommen selges "som den er". Selger kan ikke ta som den er forbehold ovenfor en forbrukerkjøper. Selv et lavere bud fra en som ikke er forbruker kan foretrekkes fordi begrensningen i mulig mangelsansvar kan ha egenverdi for selger. Selger står fritt til å forkaste eller akseptere ethvert bud, og er for eksempel ikke forpliktet til å akseptere høyeste bud.
Budgivere får informasjon dersom andre bud er inngitt av en som ikke er forbruker.
Forbrukerkjøp - definisjon
Med forbrukerkjøp menes kjøp av eiendom når kjøperen er en fysisk person som ikke hovedsakelig handler som ledd i næringsvirksomhet.
Forbruker avtalevilkår
Eiendommen har en mangel dersom den ikke er i samsvar med kravene som følger av avtalen, eller det foreligger brudd på bestemmelsene i avhendingsloven §§ 3-2 til 3-8. Hvis eiendommen ikke er i samsvar med det kjøperen må kunne forvente ut ifra alder, type og synlig tilstand, kan det være grunnlag for mangelskrav. Det samme gjelder hvis det er holdt tilbake eller gitt uriktige opplysninger om eiendommen. Dette gjelder likevel bare dersom man kan gå ut ifra at det virket inn på avtalen at opplysningen ikke ble gitt eller at uriktige opplysninger ikke blir rettet i tide på en tydelig måte.
En bolig som har blitt brukt i en viss tid, har vanligvis blitt utsatt for slitasje og skader kan ha oppstått. Slik bruksslitasje må kjøper regne med, og det kan avdekkes enkelte forhold etter overtakelse som nødvendiggjør utbedringer. Normal slitasje og skader som nødvendiggjør utbedring, er innenfor hva kjøper må forvente og vil ikke utgjøre en mangel.
Boligen kan ha en mangel etter avhendingsloven § 3-3 dersom det er avvik mellom opplyst og faktisk innvendig areal, forutsatt at avviket er på 2% eller mer og minimum 1 kvm.
Ved beregning av et eventuelt prisavslag eller erstatning må kjøper selv dekke tap/kostnader opptil et beløp på kr 10 000 (egenandel).
Ikke-forbruker (næringsdrivende) definisjon
Hvis kjøper er en juridisk person, eller en fysisk person som hovedsakelig handler som ledd i næringsvirksomhet, vil kjøpet ikke anses som et forbrukerkjøp.
Ikke-forbruker avtalevilkår
Eiendommen har en mangel dersom den ikke er i samsvar med kravene som følger av avtalen. Eiendommen selges som den er , og selgers ansvar utover det konkret avtalte er da begrenset etter avhendingsloven § 3-9, første ledd andre setning.
Avhendingsloven § 3-3 andre ledd fravikes, og hvorvidt boligens arealsvikt utgjør en mangel vurderes etter avhendingsloven § 3-8.
En forutsetning for salget er at skjøtet for eiendommen tinglyses på kjøper. Interessenter og kjøper må godta at selger og megler bruker elektronisk kommunikasjon i salgsprosessen.
I tråd med eiendomsmeglingsforskriften vil informasjon om oppdragsgiver, salgsobjektet, interessenter og kjøper bli lagret av meglerforetaket i min. 10 år. Se em1.no for mer informasjon om vår behandling av personopplysninger.
Hvitvaskingsregelverk
I henhold til Hvitvaskingsloven har meglerforetaket plikt til å gjennomføre kundetiltak (ID kontroll, kontroll av reelle rettighetshavere, kontroll av opplysninger mv). Kundetiltak skjer løpende og vil bl. annet gjennomføres når handel inngås og ved gjennomføring av oppgjøret, samt dersom det foreligger mistanke om hvitvasking eller terrorfinansiering. Dersom kundetiltak ikke kan gjennomføres, skal meglerforetaket ikke etablere kundeforholdet eller gjennomføre transaksjonen med kjøper. Ved meglerforetakets avvikling av kundeforholdet etter at bud er akseptert som følge av at kjøper ikke bidrar med nødvendig dokumentasjon, vil avtalen mellom partene være bindende, men meglerforetaket kan ikke bidra i gjennomføringen av handelen. Det kan ikke gjøres ansvar gjeldende mot meglerforetaket som følge av at meglerforetaket overholder sine plikter etter Hvitvaskingsloven.
Det godtas kun inn- og utbetaling fra norsk finansieringsinstitusjon.
Budgivning
Forbrukerinformasjon om budgivning er vedlagt salgsoppgaven.
Megler kan ikke formidle bud med kortere akseptfrist enn klokken 12:00 første virkedag etter siste annonserte visning, dersom selger er forbruker. Det kan hende at fristene for å akseptere bud blir kortere etter hvert som det kommer inn nye bud. Det er budgiver som setter fristen for når et bud må være akseptert og denne fristen er absolutt. Det betyr at selger må akseptere budet og kjøper må ha mottatt aksepten innen fristens utløp. Dersom du legger inn bud tett opp mot akseptfristen, er det en reell fare for at eiendommen blir solgt før budet når frem til megler.
Megler er forpliktet til å legge til rette for en forsvarlig avvikling av budrunden, og for at budene skal kunne bli behandlet og videreformidlet skriftlig til alle involverte parter, må ethvert bud ha en tilstrekkelig lang akseptfrist. Bud og eventuelle budforhøyelser bør derfor ha akseptfrist på minimum 30 minutter fra budet inngis.
Husk å ringe til megler etter du har sendt et bud eller budforhøyelse, for å forsikre deg om at budet er mottatt av megler. Megler tar ikke ansvar for forsinkelser på el- eller telenettet, eller andre tekniske feil.
Alle bud og budforhøyelser med eventuelle forbehold, opplysning om finansiering og ønsket overtakelse, skal sendes skriftlig til megler.
Megler kan ikke formidle bud med forbehold om at budet eller forbehold i budet (hemmelige bud og/eller hemmelige forbehold) skal holdes skjult for andre budgivere og interessenter.
Megler skal sende skriftlig varsel om bud og budforhøyelser, som kan formidles, til budgiver, selger og interessenter. Når et bud aksepteres, skal megler sende skriftlig beskjed om det til både budgiver og selger.
Megler skal kontrollere budgivers finansiering før handel inngås. Dersom slik kontroll ikke lar seg gjennomføre, skal selger motta skriftlig informasjon om dette, og mulige konsekvenser. Dersom megler ikke får kontrollert budgivers finansiering, kan det derfor medføre at en annen budgiver også en med lavere bud anbefales overfor selger.
For å legge inn bud kan du enkelt legge inn bud via EiendomsMegler 1s gi bud -knapp i nettannonsen, eller benytte budskjema, elektronisk budgivning, skannet budskjema sendt på e-post eller annen godkjent skriftlig metode.
Skal du legge inn bud må du legitimere deg med kopi av legitimasjon og signatur. Kravet til legitimasjon og signatur er oppfylt dersom budgiver benytter e-signatur, for eksempel BankID.
Ta en prat med megler om hvordan du legger inn bud.
Det gjøres oppmerksom på at utskrift av budjournal, iflg. forskrift til Lov om eiendomsmegling, vil bli gitt til kjøper og selger av eiendommen etter at handelen er kommet i stand. Øvrige budgivere kan få utlevert kopi av budjournalen i anonymisert form.
Dersom selger ikke er forbruker, vil bestemmelsen om at megler ikke kan formidle bud med kortere akseptfrist enn kl 12 første virkedag etter siste annonserte visning, ikke gjelde.
Vedlegg til salgsoppgaven
Tinglyst festekontrakt fra 1989
Utkast til fremfestekontrakt
Reguleringskart og tilhørende bestemmelser
Kommuneplanens arealdel
Vegstatuskart
Grunnkart
Diverse
BYGGEMELDING
Kjøperen er selv ansvarlig for å byggemelde samt å framskaffe bygningsmyndighetenes godkjennelse for den bebyggelse som er tenkt oppført på eiendommen før eventuelle byggearbeider igangsettes. Kostnader i forbindelse med byggeanmeldelse, eventuelle tilknytningsgebyrer, grunnundersøkelser, geotekniske rapporter m.m. påhviler kjøperen.
MEGLERS VEDERLAG
Meglers vederlag betales i sin helhet av selger. Vederlaget er avtalt til fastpris kr. 35.000,-. I tillegg betales vederlag for tilretteleggingsgebyr på kr 9.950,-, markedspakke på kr. 10.000,- og vederlag til oppgjør på kr 7.600,-
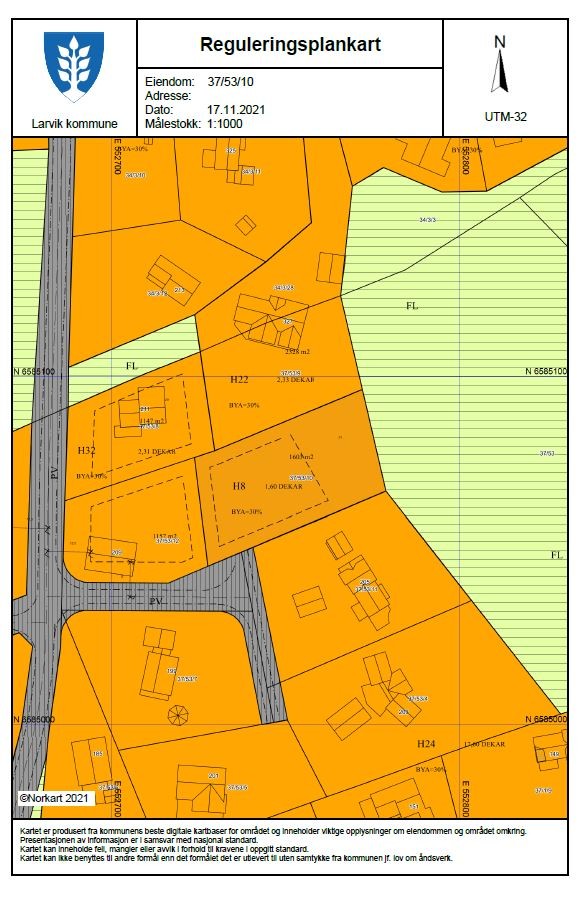
Regulering
Tomten ligger i et område regulert til fritidsbebyggelse i henhold til eldre reguleringsplan 'Hyttefelt Svarstad Skiesenter' datert 10.06.2008 med plan id 45.
Bestemmelsene i reguleringsplanen fastsetter blant annet bruk og grenser for hvor mye av tomten som kan bebygges, og retningslinjer for bebyggelse i området. Se vedlagte reguleringskart, med tilhørende bestemmelser.
Det gjøres oppmerksom på at tomten grenser til områder regulert til privat veg (PV) og friluftsområder (FL). Av reguleringsbestemmelsene fremkommer det at områder regulert til friluftsområder skal bestå som natur- og friluftsområder innenfor hyttefeltet, og som korridorer for stier og skiløyper innenfor hyttefeltet, og mot områdene rundt hyttefeltet. Områdene skal på ingen måte tas i bruk på en måte som kan oppfattes som privatiserende. Se vedlagte reguleringskart, med tilhørende bestemmelser.
Tomten ligger også i et område som i henhold til kommuneplanens arealdel 2021-2033 er avsatt til
Fritidsbebyggelse - Nåværende
Reguleringsplan skal fortsatt gjelde
Det gjøres oppmerksom på at det stedvis ligger ubebygde tomter i hyttefeltet som er regulert til fritidsbebyggelse. Det må her påregnes at det kan bli igangsatt byggearbeider.
Kopi av situasjonskart, reguleringsplan, kommuneplanens arealdel m/bestemmelser etc. ligger vedlagt i salgsoppgaven eller kan fås ved henvendelse til megler. Vi oppfordrer interessenter til å gjøre seg kjent med disse.
Ansvarlig megler
Morten Skorge
Nyttige lenker
EiendomsMegler 1 Larvik
Nærområdet
Annonseinformasjon
| FINN-kode | 241980759 |
|---|---|
| Sist endret | 15. des. 2025 12:46 |
| Referanse | 2866250043 |
Annonsene kan være mangelfulle i forhold til lovpålagt opplysningsplikt. Før bindende avtale inngås oppfordres interessenter til å innhente komplett informasjon fra meglerforetaket, selger eller utleier.





















