Bildegalleri

Næringstomt for utbygging (Industri/Lager)
TORGÅRD - Næringstomt for utvikling med allerede bygde kontorer
Nøkkelinfo
- Areal
- 1 500 - 2 500 m²
Type lokale
Kontor
Produksjon/Industri
Lager/Logistikk
Om eiendommen
Fleksibel og byggeklar tomt på attraktive Torgård
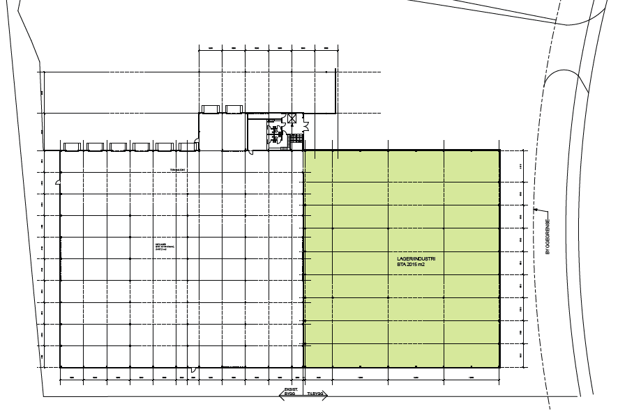
Eiendommen er regulert til industri/lager og er klar for videre utbygging. God beliggenhet i et etablert nærings- og lagerområde tett på Trondheim og ramper for E6 sør- og nordgående.
Nytt bygg kan oppføres som et tilbygg til eksisterende for utnytte tomtearealet best mulig, eller som et frittstående bygg for bedrifter som trenger fleksiblitet og god logistikk rundt bygningen.
Se bilder for illustrasjoner på hvordan et tilbygg og en utbygging kan se ut. Dette er ment som forslag/inspirasjon.
Nøkkelopplysninger:
- Tomteareal på ca. 3 500 m2
- Utbygging fra 1500 - 2500 m2 (Industri/lager).
- Byggehøyder ca. 12 m.
- Eksisterende kontorer kan tilbys til nytt lager/produksjonsbygg (kostnadsbesparelse på oppføring av dyre arealer).
Om kontorene:
- 17 cellekontorer
- Kjøkkenområde og spiserom.
- Ett større møterom.
- Dagens planløsning kan tilpasses ny kunde.
- Inngangsparti og adkomst kan kobles sammen med nytt industri/lagerbygg.
Ta kontakt for en hyggelig uformell prat eller mer informasjon.
LOGISTEA
Logistea er et eiendomsselskap notert på Stockholm Børs som er spesialisert på industri- og logistikkeiendommer. Vi har ca. 150 eiendommer i vår portefølje og har 10 industrieiendommer i Trøndelag. Ca. 75 av eiendommene betjenes fra vårt Norgeskontor i Trondheim med god kompetanse og erfaring om lokale forhold.
Eiendommen er regulert til industri/lager og er klar for videre utbygging. God beliggenhet i et etablert nærings- og lagerområde tett på Trondheim og ramper for E6 sør- og nordgående.
Nytt bygg kan oppføres som et tilbygg til eksisterende for utnytte tomtearealet best mulig, eller som et frittstående bygg for bedrifter som trenger fleksiblitet og god logistikk rundt bygningen.
Se bilder for illustrasjoner på hvordan et tilbygg og en utbygging kan se ut. Dette er ment som forslag/inspirasjon.
Nøkkelopplysninger:
- Tomteareal på ca. 3 500 m2
- Utbygging fra 1500 - 2500 m2 (Industri/lager).
- Byggehøyder ca. 12 m.
- Eksisterende kontorer kan tilbys til nytt lager/produksjonsbygg (kostnadsbesparelse på oppføring av dyre arealer).
Om kontorene:
- 17 cellekontorer
- Kjøkkenområde og spiserom.
- Ett større møterom.
- Dagens planløsning kan tilpasses ny kunde.
- Inngangsparti og adkomst kan kobles sammen med nytt industri/lagerbygg.
Ta kontakt for en hyggelig uformell prat eller mer informasjon.
LOGISTEA
Logistea er et eiendomsselskap notert på Stockholm Børs som er spesialisert på industri- og logistikkeiendommer. Vi har ca. 150 eiendommer i vår portefølje og har 10 industrieiendommer i Trøndelag. Ca. 75 av eiendommene betjenes fra vårt Norgeskontor i Trondheim med god kompetanse og erfaring om lokale forhold.
NB: Knappen for å vise hele beskrivelsen har kun en visuell effekt.
NB: Knappen for å vise hele beskrivelsen har kun en visuell effekt.
Visning
Ta kontakt for å avtale visning.Nærområdet
Annonsene kan være mangelfulle i forhold til lovpålagt opplysningsplikt. Før bindende avtale inngås oppfordres interessenter til å innhente komplett informasjon fra meglerforetaket, selger eller utleier.




