Bildegalleri

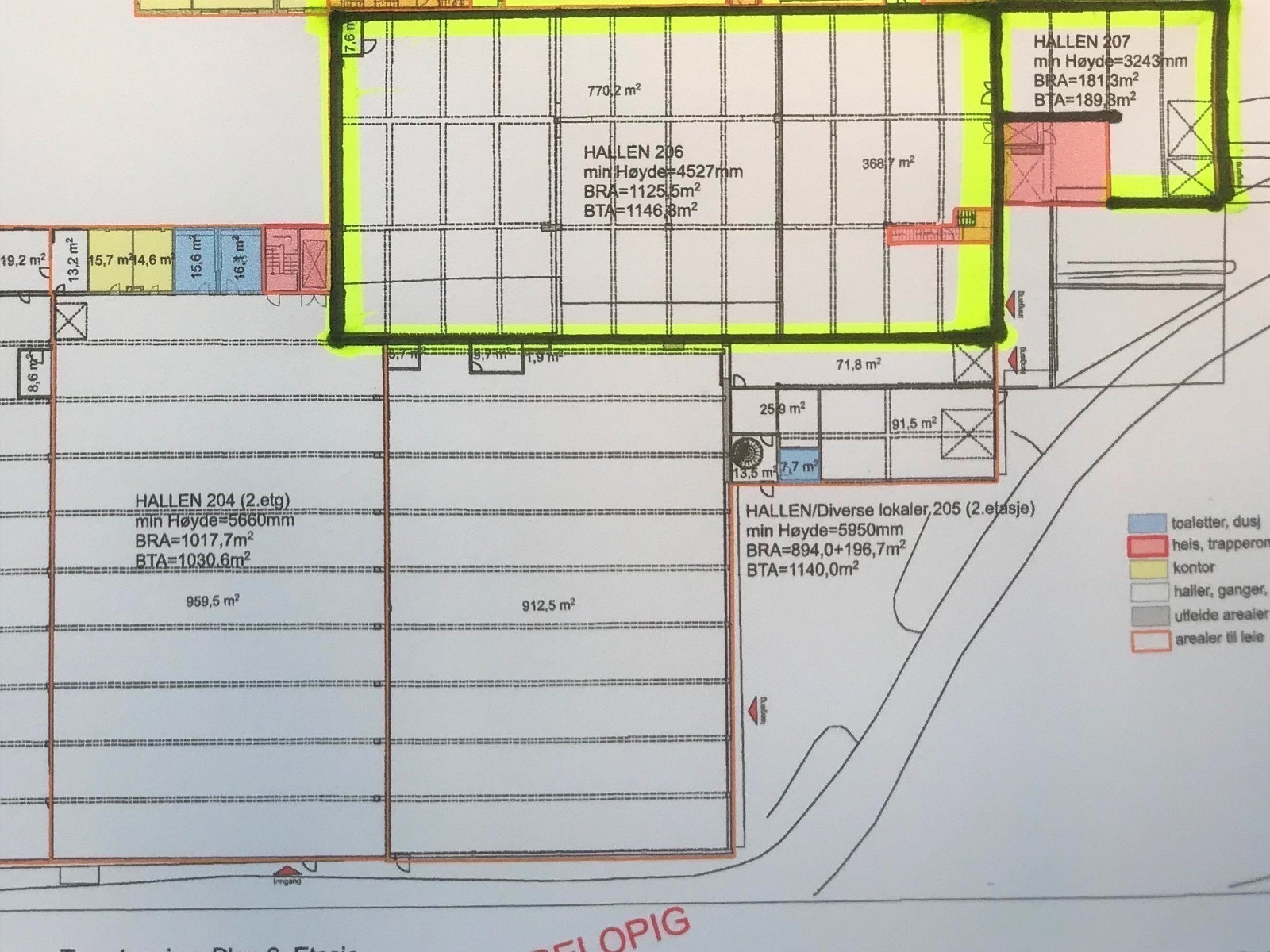
Hall 206. 1146 m2
Høie Næringspark. Egen hall med kjøreport og kjørerampe. BTA 1146 m2. kr. 400 pr. m2/år
Nøkkelinfo
- Areal
- 750 - 1 146 m²
- Etasje
- 1.
- Byggeår
- 1915
- Renovert år
- 1987
- Overtakelse
- Etter avtale
Type lokale
Fasiliteter
Om eiendommen
Høie Næringspark, Lager - Produksjon - kontorer.
Høie Næringspark ligger på Mosby ca. 10 km nor for Kristiansand sentrum. Høie Næringspark er en av Kristiansands største Næringsparker på gode store lagerlokaler med god kvalitet. Takhøyde ca. 370 CM.
Hall 206. 1146 m2 . Lageret er godt egnet for nettbutikk og eller logligestikkvirksomhet.
Rimelig årsleie kr. 490 pr. m2/år + mva.
https://www.xn--hienringspark-6fb0y.no/
Ta kontakt med Svein Stiansen på tlf. nr. 971 89000 for visning
B
Høie Næringspark-Industriell fortid med ny fremtid
Høie Næringspark er et spennende mylder av både historie og muligheter. Da Høie Fabrikker avsluttet sitt virke etter 157 års industrivirksomhet i 2007, ble det overtatt for at andre skal fylle lokalene med ny historie.
Bygningsmassen på 23000 m2 fordelt på butikk fordelt på lager og kontorer. Allerede er det stor variasjon og nytt liv i Høie Næringspark - Nå ønsker vi å skreddersy nye løsninger for nye leietagere.
https://www.xn--hienringspark-6fb0y.no/
Beliggenhet
Høie Næringspar - Lokaler med Histore for å lykkes.
På 12 minuter rekker du å smøre egg og smøre matpakka. Akkurat like lenge tar det å kjøre fra kristiansand til Høie Næringspark. Flotte veier med lite trafikk gjør det enkelt og trivelig - og det er mye nærmere enn du tror.
Vennesla: 8 minutter
Kvadraturen: 12 minutter
Sørlandsparken: 17 minutter
Kjevik: 20 minutter
https://www.xn--hienringspark-6fb0y.no/
Innhold
Andre leietagere i denne etasjen.
Lager: Ole Moe, Stray kjøkken, Norsk Gjennvinning, Agder Blikk & fasade, Traktor & Maskin, Maskot Høie med flere.
Matrikkelinformasjon
Visning
Ta kontakt for å avtale visning.Nyttige lenker

Mosvold & Co AS
Nærområdet
Annonseinformasjon
| FINN-kode | 409749631 |
|---|---|
| Sist endret | 27. okt. 2025 12:10 |
| Referanse | Høie. Hall 206. 1146 m2 |
Annonsene kan være mangelfulle i forhold til lovpålagt opplysningsplikt. Før bindende avtale inngås oppfordres interessenter til å innhente komplett informasjon fra meglerforetaket, selger eller utleier.



