Bildegalleri

Fremtidsrettet nærings og handelseiendom i Brekstad
Nøkkelinfo
- Tomteareal
- 10 299 m²
Visning
Aktium Eiendom
Aktium utvikler næring- og handelslokaler for utleie og salg i hele Norge. Vi prosjekterer og tilpasser ethvert prosjekt 100 % til kundenes behov. Pr i dag kan vi tilby tomter og prosjekter i følgende områder:
Østlandet og Innlandet:
Eidsvoll, Enebakk, Gomsrud, Hurdal, Skarnes, Mysen, Stange, Trøgstad, Tynset, Nes, Geithus, Lena, Rødberg, Fredrikstad, Åneby, Lillestrøm, Vestby
Nord Norge:
Myhre, Setermoen, Stokmarknes Myran, Stokmarknes Børøya, Stokmarknes Søndre, Rognan, Ørnes, Bø i vesterålen
Vestlandet:
Kaupanger, Osterøy, Årdal, Hjelset
Trøndelag:
Grong, Hommelvik, Selbu, Brekstad, Åsen, Namsos
Beliggenhet
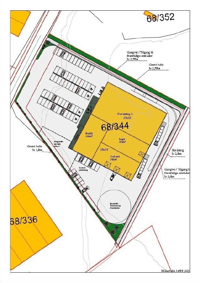
Tomten selges som et AS. Området er ferdig regulert, og tomten er ferdig opparbeidet/utfylt.
Brekstadbukta ligger sørøst for Brekstad sentrum. Tomten er byggeklar og regulert gjennom reguleringsplanm for Brekstadbukta Næringsområde plan 1621201307 i Ørland kommune. Området ligger sentralt i Brekstad og er svært godt synlig fra Havnegata. Kort vei til fergeleiet for videre biltransport til Trondheim, Orkland, og Ødtlandet. Det er gangavstand til hurtigbåtanløp til Trondheim, Hitra(med bussforbindelse til Frøya), Indre Fosen, Lensvik og Kristiansund. Kun 4km til flyterminal med daglige avganger til Oslo lufthan, Gardermoen.
Relevante avstander:
- 500 meter nord for Brekstad fergeleie.
- 5 minutter kjøretur fra den splitter nye kampflybasen.
- ca 15 minutter med bil fra Botngård som er nærmeste tettsted som vil nyte godt av kampflybasen
ÅDT på Fru Ingers vei forbi området er 7600.
Følgende aktører har allerede etablert seg i området og sikrer god trafikk
- Libra Shoppingsenter (Coop Extra, Cubus, Elkjøp, Eurosko, Høie, Mekk, Nille, Stormberg, Vitus apotek med mer)
- Brekstad postkontor
- Brekstad vinmonopol
- Ørland fargehandel
- Circle K
- Montér
- Byggeriet
- Ramirent Fosen
- Leira Bil AS
- Byggmakker
Aktium Eiendom utvikler nærings- og handelslokaler for utleie og salg i hele Norge.
Vi prosjekterer og tilpasser ethvert prosjekt 100% til kundenes behov.
Pr i dag har vi tomter og prosjekter i følgende områder:
Østlandet og innlandet: Eidsvoll, Enebakk (Vik), Frogner (Lillestrøm), Hurdal, Kongsberg, Lena (østre Toten), Mysen, Nes i Ådal, Skarnes, Trøgstad, Tynset, Vestby, Åle (Gressvik) og Åneby i Nittedal.
Vestlandet: Austevoll (syd for Bergen), Kaupanger i Sogndal kommune, Osterøy (nord for Bergen) og Øvre Årdal.
Trøndelag: Brekstad (Ørland), Grong, Hommelvik (Malvik), Selbu og Åsen (Skogn).
Nord Norge: Myre i Øksnes kommune, Rognan i Saltdal kommune, Stokmarknes (Børøya), Stokmarknes (Myran), Setermoen i Bardu kommune og Ørnes i Meløy kommune.
AKTIUM EIENDOM AS
Nærområdet
Annonseinformasjon
| FINN-kode | 357909309 |
|---|---|
| Sist endret | 19. juni 2025 01:50 |
| Referanse | Anders Holm |
Annonsene kan være mangelfulle i forhold til lovpålagt opplysningsplikt. Før bindende avtale inngås oppfordres interessenter til å innhente komplett informasjon fra meglerforetaket, selger eller utleier.








