Bildegalleri

Velkommen til Major Wetlesens gate!
Stor boligtomt på 985 kvm - Sjønært med umiddelbar nærhet til Solviken båthavn - Rett ved fine turområder
- Totalpris
- 2 223 340 kr
- Omkostninger
- 73 340 kr
Nøkkelinfo
Fasiliteter
Visning
Om eiendommen
Oppdragsnummer
141-22-0078
Eier
Birger Bakken
Kyung Hee Bakken
Eiendomstype
Boligtomt
Eierform
Selveier
Betegnelse
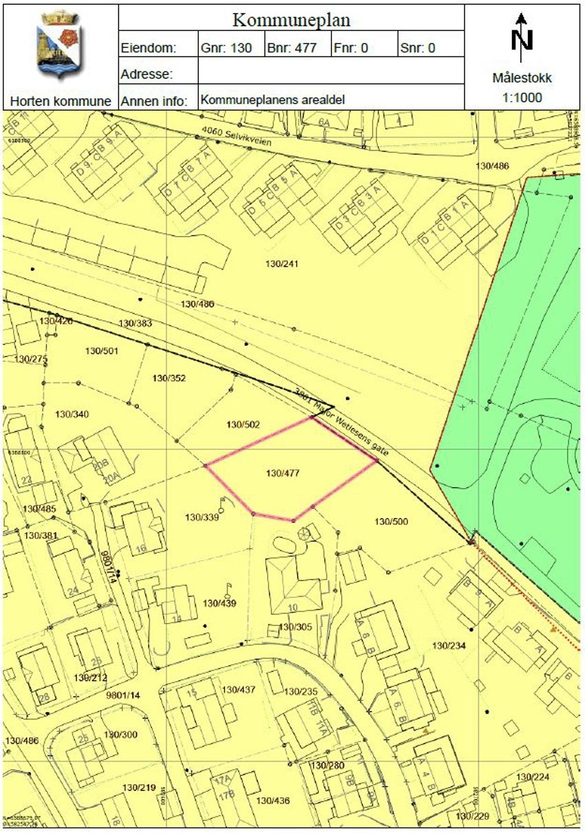
Gnr. 130 Bnr. 477 i Horten kommune
Tomtetype/areal
Eiet tomt / 985 kvm
Beliggenhet
Tomten ligger høyt og fritt i skrånet terreng nordvest for Horten sentrum like ved Solvik båthavn. Utsikt over Indre havn og gode solforhold. Tomten har nærhet til skoler, barnehager, offentlig kommunikasjon og flotte turområder. Tomten ligger i Lilaas skolekrets, og både Lilaas skole og Orerønningen ungdomsskole ligger i nærområdet. Umiddelbar nærhet til flotte turområder, bl.a. den nye og flotte kystparken langs Indre havn med båthavn, badeplasser, brygger, lekeplasser, fotball- og sandvolleyballbane.
Kun få minutter med sykkel kommer du til det fantastiske og naturskjønne området på Karljohansvern, hvor du finner museer, kafeer, flotte turområder og flere badestrender. Deretter kommer man til Fyllinga småbåthavn og kanalen. Videre sydover kommer man til Horten gjestehavn som byr på flere restaurantmuligheter og båtliv. Fra ferjeleiet ved Havna kan du ta Bastøferja over Oslofjorden til Moss i Østfold. Ferjetilbudet er gratis for både gående og syklende.
Like ved sentrum ligger Lystlunden, en kombinert park og idrettsplass. Idrettsanlegget har kunstgressbane, bueskytterbane og flere treningsbaner for fotball. Dette er også Hortens største parkanlegg hvor det er satt ut flere benker og etablert lekeplass. Parken fremstår som svært idyllisk med en sjarmerende paviljong og flott lyssetting etter mørkets frembrudd. Det er også kort vei til ny idrettshall, ny videregående skole og skatepark.
Rørestrand Camping er en familievennlig campingplass i naturskjønne omgivelser nær skog, strand og seilerhavn, og ligger kun få minutter med bil unna tomten. Rett nedenfor campingplassen finnes en solrik sandstrand med en flott, stor gresslette. Her har man egen strandkiosk som er garantert å gi deg syden-stemning! Beachbaren tilbyr aktiviteter som bubbleballs og minigolf, og har utlån av diverse balleker. Ta med deg gode venner eller familien, få deg noe godt å drikke, en is eller ta med grillmat og benytt en av gassgrillene som står fritt til utlån.
Ønsker du å utfordre golfkunnskapene, er det ikke langt til Borre Golfklubb som kan friste med 18 hull, spektakulær utsikt og et hyggelig miljø. En liten kjøretur unna ligger også Borrehaugene, Norges første nasjonalpark. I området ligger små og store gravhauger, og du kan nyte et herlig turterreng, grønne lunger og majestetiske eiketrær. På utsiden av parken finner du også Gildehallen, en kopi av et langhus fra vikingtiden.
Skal man reise med fly eller tog tar det ca. 30 min. til Sandefjord Lufthavn Torp og ca. 20 min. til Holmestrand stasjon. Det er også ca. 15 min. med bil/buss til Universitet på Bakkenteigen. Horten er nå også en universitetsby med flere studieretninger .
Er du mer nysgjerrig på Horten - sjekk ut denne linken: www.hortenlove.no
Adkomst
Fra Horten sentrum følger man Torggata/Falkenstensveien nordover mot Apenes. Ved bensinstasjonen tar man til høyre inn Gamleveien. Følg deretter veien ned bakken og ta deretter til venstre inn Major Wetlesens gate. Tomten ligger da på høyre side i Major Wetlesens gate.
Fra E18 tar man av mot Horten ved Kopstadkrysset. Følg FV310, Falkenstensveien mot Horten sentrum. I første lyskryss tar man til venstre inn Gamleveien. Følg Gamleveien til du får Major Wetlesens gate på venstre side. Tomten ligger da på høyre side i Major Wetlesens gate.
Se kartskisse i FINN-annonsen. Ved å trykke på kartet får du enkelt tilgang til en spesifisert reiserute fra ønsket startdestinasjon (eventuelt din boligadresse) til den aktuelle visningsboligen. Det vil også bli skiltet med visningsskilter fra PrivatMegleren til annonserte visninger. Velkommen til visning.
Beskrivelse av tomt
Stor, skrånet og ubebygd selveiertomt på ca. 985 kvm. med attraktiv beliggenhet rett ved Solviken båthavn. Naturtomt som hovedsakelig består av fjell, steiner og naturlig vegetasjon. Tomten er i svært liten grad opparbeidet, men i forbindelse med salget har man kuttet mye busker og trær slik at det nå er mer luftig og åpent. Tomten overdras i den forfatning den befinner seg på salgstidspunktet uten nærmere opparbeidelse eller rydding.
I følge kommuneplanens § 2.2.4 står dette om fortetting i boligområder: "Dersom grad av utnytting ikke er angitt i annen plan, skal maksimalt tillatt bebygd areal (BYA) for bebyggelsen ikke overstige 30 % av tomtene, inkludert garasje og boder. Antall parkeringsplasser i henhold til kommunens bestemmelse, ref pkt 1.10 medtas i beregningen av BYA med 18 m2 pr plass. Fortetting på eksisterende boligtomter kan skje ved fradeling der tomtestørrelse og terrengform egner seg, og nye bygg lar seg innpasse på en god måte i forhold til eksisterende bebyggelsesstruktur. Både gjenværende og fradelte boligtomter skal være tilstrekkelig til å romme bolig, garasje og andre bygg. Både ny og gjenværende boligtomt skal ha tilfredsstillende leke og uteoppholdsarealer, ref kravene i pkt 1.9. Høyder og volum på nye bygg skal harmonere med skalaen i strøket." I følge kommuneplanen §1.10.1 er det krav om to parkeringsplasser når boenhet er på over 120 kvm BRA.
Tomten ligger i "Hagebyen Horten", jf. kommuneplanens § 4.1, hvor det bl.a. er en bestemmelse om at det tillates kun oppføring av boligtype enebolig eller tomannsbolig.
Vi gjør for ordens skyld oppmerksom på at kjøper må selv ordne alle offentlige godkjennelser ved bygging på tomten, herunder byggetillatelse/ rammetillatelse/ igangsettingstillatelse samt påkobling av strøm, vei, vann og avløp. Det er kjøpers ansvar og risiko knyttet til hva som lar seg bebygge på tomten. Det anbefales å ta kontakt med bygningsmyndighetene i Horten kommune om hvordan tomten kan utnyttes/bebygges.
Servitutter / rettigheter
Eiendommen overdras fri for pengeheftelser, med unntak av eventuelle erklæringer, avtaler, servitutter og panteheftelser som fremgår av salgsoppgaven og skal følge med eiendommen ved salg. Kjøpers bank vil få prioritet etter disse.
Kommunen har legalpant som sikkerhet for betaling av kommunale avgifter. Legalpant er pant som følger av loven, og som ikke tinglyses. Legalpant følger derfor eiendommen ved salg. På eiendommen kan det være tinglyst erklæringer som f.eks. rett for kommunen til å vedlikeholde rørsystemer for vann- og kloakk. Disse erklæringene vil følge eiendommen ved salg. Kontakt megler for nærmere informasjon.
2022/712946-1/200 Bestemmelse om bebyggelse tinglyst 30.06.2022 21:00
rettighetshaver:Knr:3801 Gnr:130 Bnr:305
Gjelder avtale om maksimal byggehøyde på tomten. Maksimal kotehøyde er 23 m, det vil si 23 meter over havnivå.
Dokumentet er vedlagt salgsoppgaven.
Grunndata:
1991/2840-1/28 Registrering av grunn tinglyst 25.06.1991
Denne matrikkelenhet opprettet fra:Knr:0701 Gnr:130 Bnr:430
Dokumentet er vedlagt salgsoppgaven.
Vei / Vann / Avløp
Ikke tilkoblet.
Kjøper er selv ansvarlig for å gjøre nødvendige tiltak for å tilknytte vei/vann/avløp og bekoste dette selv.
I følge opplysninger fra kommunen fra 2022 er det to muligheter for tilkobling av avløp. Se vedlagte mail og bilde med tilhørende nummerering.
"1) I krysset mellom Gamleveien og Major Wetlesens gate (ca. 150 m fra referansepunkt y). Her må avløpet pumpes grunnet høydeforskjellen i terreng.
2) Utenfor Major Wetlesens gate 9B (ca. 60 m fra referansepunkt y). Her kan avløpet gå i selvfall.
Begge overnevnte alternativer gir mulighet for tilkobling av vannledning.
Nærmeste tilkoblingspunkt for overvannsledninger er på andre siden av Major Wetlesens gate til svart stiplet ledning på bildet (ca. 10 m fra referansepunkt y)." Kjøper må selv ta kontakt med Horten kommune for å undersøke nærmere og for oppdatert informasjon.
Den mest rasjonelle og rimeligste løsningen kan være om en samordner seg med de øvrige tomteeierne.
Tomten grenser inn til Major Wetlesens gate som er en offentlig vei. Kjøper må selv i forbindelse med byggesøknad optimalisere og redegjøre for veiløsning, eventuelt i fellesskap med nabotomten.
I 2021 sendte selger inn henvendelse til kommunen om felles avkjøring for denne eiendommen og nabotomten gbnr. 130/500, se vedlagte kart. Kommunen svarte i den forbindelse følgende: "Det fattes ikke vedtak i saken per nå, men det gis et forhåndssvar på hvorvidt avkjørselstillatelse vil kunne gis eller ikke for eiendommen. Trafikkmengde og plassering av avkjørsel vil kunne gi aksept for avkjørsel mot Major Wetlesens gate." Se hele svaret fra kommunen som er vedlagt salgsoppgaven.
Ferdigattest eller midl. brukstillatelse
Ingen.
Kjøper må selv sørge for søknadsprosesser og ferdigattest.
Verdi ved skattefastsetting
Formuesverdi er ikke fastsatt av Skatteetaten. Kontakt Skatteetaten dersom du har spørsmål til dette.
Stortinget har vedtatt en ny modell for beregning av formuesverdi for bolig. Den nye utregningsmodellen beregner boligverdier basert på grunnkretser i stedet for kommuner, og skal benyttes fra og med inntektsåret 2026. Dette kan medføre at markedsverdien settes høyere eller lavere enn tidligere og innebærer at både selger og megler kan benytte tall som ikke nødvendigvis er oppdaterte på tidspunktet for utarbeidelse av salgsoppgaven. Det tas derfor forbehold om at formuesverdien kan bli endret og eventuelt øke ved endelig fastsettelse i skatteåret. For primærbolig utgjør formuesverdien 25 % av beregnet eller dokumentert markedsverdi opptil kr 10 000 000, og deretter 70 % av den delen som overstiger dette beløpet. For sekundærbolig utgjør formuesverdien 100 % av beregnet eller dokumentert markedsverdi.
Reguleringsforhold
Eiendommen ligger ikke i et regulert område.
I følge opplysninger mottatt fra Horten kommune ligger eiendommen i et område som i kommuneplanen/kommunedelplanen er avsatt til "boligbebyggelse - nåværende" og "byggegrenser, utbyggingsvolum og funksjonskrav", jf. Kommuneplanens arealdel 2022-2033 (13.6.2022).
Utdrag fra kommuneplanens arealdel 2022-2033:
"4.1 Hagebyen Horten #1
I tillegg til fellesbestemmelsene under punkt 2.2 gjelder følgende for området #1 hagebyen Horten:
a) Total utnyttelse kan ikke overskride % BYA: 30%.
b) Det tillates kun oppføring av boligtype enebolig eller tomannsbolig.
c) Nye tiltak skal tilpasses til omkringliggende bebyggelsesstruktur. Det tillates ikke fragmentering av den sammenhengende hagestruktur.
d) Ved tiltak i henhold til pbl § 20 -1 skal de være minimum 200 m2 sammenhengende uteoppholdsareal pr. boenhet, på bakkeplan.
e) Nye tiltak skal harmonere med eksisterende arkitektonisk uttrykk i området. Det tillates moderne formspråk (arkitektur) der tiltaket på en god måte tilfører eller innordner seg hagebyens karakter."
Plankart og bestemmelser er vedlagt salgsoppgaven. Ta kontakt med kommunen dersom du har spørsmål til kommuneplan.
Det er vedtatt bygging av gang/sykkelsti i Major Wetlesensgate på nord/østsiden av veien inn mot rekkehusene/garasjene. Da får man sammenhengende sykkelsti helt inn til Karljohansvern og Horten sentrum. I forbindelse med dette arbeidet vil det sannsynligvis bli fjernet en del vegetasjon som bør gi bedre utsiktsforhold fra tomten. NB! Oppdatering: I lokalavisen Gjengangeren 01.05.2024 står det at "Et enstemmig kommunestyret vedtok å legge saken på is inntil den økonomiske situasjonen er bedre." Kontakt Horten kommune for oppdatert og mer informasjon.
Kjøper gjøres oppmerksom på at det er ytterligere 4 boligtomter som er/har vært for salg.
Andre faste løpende kostnader
Siden dette er salg av en ubebygget tomt så er det pr. i dag ikke noen løpende kostnader.
Oppgjør
Kjøpesum med tillegg av omkostninger skal være disponibelt på meglers klientkonto innen overtagelse. Normalt innebærer dette at fullt oppgjør må være innbetalt på meglers klientkonto senest to virkedager før avtalt overtagelsesdato. Eventuelle vilkår knyttet til innbetalingen, eksempelvis pantedokument som skal tinglyses til fordel for kjøpers bank, må være megler i hende i god tid før overtagelse kan finne sted.
Finansiering
Kontakt megler for avklaring av finansielle forhold, herunder lån til kjøp av eiendom. Privatmegleren har avtale med Nordea om formidling av lån og andre finansielle tjenester. Privatmegleren mottar godtgjørelse for dette.
Sammendrag fra selgers egenerklæring
Egenerklæringen er vedlagt salgsoppgaven. Det er hovedsakelig krysset av "nei" i egenerklæringen.
Selger henviser til radonkartet når det gjelder radonmåling, som viser "moderat til lav" forekomst. Det er ikke foretatt konkret radonmåling for denne tomten.
Les hele egenerklæringen før bud inngis.
Annen nyttig informasjon
Arealangivelser er hentet fra matrikkelkart mottatt fra kommunen.
Dette er en ubebygget tomt, og det er ikke innhentet tilstandsrapport i forbindelse med salget. TG2 og TG3 bemerkninger er derfor ikke oppgitt i salgsoppgaven.
Det gjøres særlig oppmerksom på at selger ikke har bebodd tomten. Selger har derfor ikke førstehåndskunnskap om tomten, og har i begrenset grad kunnet supplere og/eller kontrollere opplysningene. Det kan i denne sammenheng eksistere feil og skader på tomten som ikke er spesifikt opplyst. Kjøper oppfordres til å foreta en særlig grundig besiktigelse, helst med bistand fra teknisk fagkyndig.
Kjøper må besiktige tomten og selv vurdere utsikts- og solforhold.
Opplysninger fra brann/feiervesen er innhentet - ingen ildsted montert. Se vedlegg.
Radonkart og kvikkleirekart er vedlagt salgsoppgaven.
Det foreligger en rapport/vurdering av områdestabiliteten fra 2017 - kopi av denne er vedlagt salgsoppgaven. Kjøper må selv undersøke grunnforholdene. En slik undersøkelse og resultatet av denne blir kjøper ansvar og risiko. Evt. behov for opprydding av masser blir kjøpers ansvar og for kjøpers regning.
Med mindre annet er uttrykkelig avtalt gjelder NEFs normgivende liste over løsøre og tilbehør.
Selger har inntatt et forslag/skisse til hus på tomtene (bilde). Tegningene er IKKE godkjent. Illustrasjon fra Urbanhus kun ment som inspirasjon. Kjøper må selv søke og gjøre undersøkelser, og kjøper har ansvaret og risikoen for ev. godkjennelser.
Eier:
Birger Bakken
Kyung Hee Bakken
Konsesjon / Odel
Ved ubebygd tomt må kjøper signere egenerklæringsskjema om konsesjonsfrihet. Skjemaet sendes Plan- og Bygningsetaten i kommunen for godkjennelse. Det hviler ikke odelsplikt på eiendommen.
Sikkerhetsstillelse
Alle eiendomsmeglingsforetak har lovpålagt forsikring av klientmidler begrenset oppad til kr 45 mill. Enkeltsaker er forsikret inntil kr 15 mill. Dersom kjøpers låneinstitusjon krever tilleggsforsikring ved omsetning over 15 millioner, må kjøper selv eller dennes låneinstitusjon dekke utgiftene forbundet med dette.
Boligkjøperforsikring
I produktark om boligkjøperforsikring bak i salgsoppgaven, finner du informasjon samt priser på produktene.
Overtagelse
Straks, etter nærmere avtale med selger. Vennligst angi i budskjemaet ønsket dato for overtagelse.
Boligselgerforsikring
Selger har ikke tegnet boligselgerforsikring, og interessenter oppfordres til å sette seg inn i selgers egenerklæring før det inngis bud på eiendommen.
Budgiving
Bud kan legges inn via PrivatMeglerens "gi bud-knapp" som finnes på www.privatmegleren.no/141220078 og i nettannonsen. Bud legges inn trygt og enkelt med bank-ID.
For mer informasjon om budgivning, se "Viktig informasjon" i salgsoppgaven.
Lovanvendelse
Eiendommen selges etter reglene i avhendingsloven (avhl.).
Eiendommen skal overleveres kjøper i tråd med det som er avtalt. Det er viktig at kjøper setter seg grundig inn i alle salgsdokumentene, herunder salgsoppgave, tilstandsrapport og selgers egenerklæring. Kjøper anses kjent med forhold som er tydelig beskrevet i salgsdokumentene. Forhold som er beskrevet i salgsdokumentene kan ikke påberopes som mangler. Dette gjelder uavhengig av om kjøper har lest dokumentene. Alle interessenter oppfordres til å undersøke eiendommen nøye, gjerne sammen med fagkyndig før bud inngis. Kjøper som velger å kjøpe usett kan ikke gjøre gjeldende som mangel noe han burde blitt kjent med ved undersøkelsen.
Dersom det er behov for avklaringer, anbefaler vi at kjøper rådfører seg med eiendomsmegler eller en bygningssakyndig før det legges inn bud.
Eiendommen selges etter reglene i avhendingsloven (avhl.).
Eiendommen skal overleveres kjøper i tråd med det som er avtalt. Det er viktig at kjøper setter seg grundig inn i alle salgsdokumentene, herunder salgsoppgave, tilstandsrapport og selgers egenerklæring. Kjøper anses kjent med forhold som er tydelig beskrevet i salgsdokumentene. Forhold som er beskrevet i salgsdokumentene kan ikke påberopes som mangler. Dette gjelder uavhengig av om kjøper har lest dokumentene. Alle interessenter oppfordres til å undersøke eiendommen nøye, gjerne sammen med fagkyndig før bud inngis. Kjøper som velger å kjøpe usett kan ikke gjøre gjeldende som mangel noe han burde blitt kjent med ved undersøkelsen.
Dersom det er behov for avklaringer, anbefaler vi at kjøper rådfører seg med eiendomsmegler eller en bygningssakyndig før det legges inn bud.
Dersom kjøper ikke er forbruker selges eiendommen som den er , og selgers ansvar er da begrenset, jf. avhl. § 3-9, første ledd 2. punktum. Informasjon om kjøpers undersøkelsesplikt, herunder oppfordringen om å undersøke eiendommen nøye, gjelder også for kjøpere som ikke anses som forbrukere. Med forbrukerkjøp menes kjøp av eiendom når kjøperen er en fysisk person som ikke hovedsakelig handler som ledd i næringsvirksomhet.
Lov om hvitvasking:
Megler er underlagt lov om hvitvasking som innebærer plikt til å melde ifra til Økokrim om mistenkelige transaksjoner
Lov om hvitvasking
Megler er underlagt lov om hvitvasking som innebærer plikt til å melde ifra til Økokrim om mistenkelige transaksjoner
Meglers vederlag og utlegg
Tilrettelegging (Kr.4 900)
Utleggsgebyr (Kr.3 600)
Panterett med urådighet - Statens Kartverk (Kr.545)
Visninger kr. 2 500,- pr. visning (1 gratis) (Kr.1)
Helside i Gjengangeren 11.05.2022 (Kr.3 700)
Vindusplakat - ny pris (Kr.46,25)
Provisjon (forutsatt salgssum: 2 150 000,-) (Kr.35 000)
Innhentet ny kommuneplan/regulering 11.12.2025 (Kr.500)
Grunnpakke markedsføring (Kr.8 500)
Pantattester/ grunnbok fra St.kartverk (Kr.550)
Innhenting av opplysninger fra kommunen (Kr.3 000)
Oppgjørskostnad (Kr.7 900)
Totalt kr. (Kr.68 242,25)
Dersom eiendommen ikke omsettes, faktureres selger kr 0,- + tillegg og ev. utlegg.
Vedlegg til salgsoppgaven
Interessenter oppfordres til å sette seg inn i samtlige vedlegg til salgsoppgaven:
Budskjema
Egenerklæringsskjema
Meglers verdivurdering
Mail fra kommunen om nærmeste tilkoblingspunkter for vann og avløp
Svar fra kommunen vedr. avkjørsel
Radonkart
Kvikkleirekart
Rapport områdestabilitet fra 2017
Feie og tilsynsopplysninger fra Infoland
Eiendomsinformasjon fra kommunen
Info fra kommunen vedr. ferdigattest/midl.brukstillatelse
Matrikkelkart
Tinglyste dokumenter
Oversiktskart med vann/avløp
Planstatus fra kommunen
Kommuneplankart
Løsøreliste
Kommuneplanens arealdel - bestemmelser og retningslinjer
Nyttige lenker

PrivatMegleren Horten
Nærområdet
Annonseinformasjon
| FINN-kode | 257259745 |
|---|---|
| Sist endret | 26. feb. 2026 03:02 |
| Referanse | 141220078 |
Annonsene kan være mangelfulle i forhold til lovpålagt opplysningsplikt. Før bindende avtale inngås oppfordres interessenter til å innhente komplett informasjon fra meglerforetaket, selger eller utleier.



























