Bildegalleri

Inaktiv
Stor solrik ubebygget tomt innerst i blindvei
Prisantydning790 000 kr
Nøkkelinfo
Fasiliteter
Bilvei frem
Bredbåndstilknytning
Kabel-TV
Offentlig vann/kloakk
Utsikt
Turterreng
Visning
Ta kontakt for å avtale visning.Beliggenhet
Tomten ligger i et etablert boligstrøk med frittliggende eneboliger. Tomten skråner mot vest og det er fin utsikt over jordbruksarealer og opp mot Greåker Fort. Tomten ligger innerst i blindvei, i stille og rolige omgivelser. Gangavstand til Greåker sentrum, hvor det er handlemuligheter, treningssenter, legesenter, apotek m.m. Aktive idrettsforeninger i nærmiljøet, samt kort vei til barnehage, barneskole, ungdomsskole og videregående skole.
Mindre enn 8 km til det nye øsfoldsykehuset på Kalnes.
Mindre enn 8 km til det nye øsfoldsykehuset på Kalnes.
Beskaffenhet
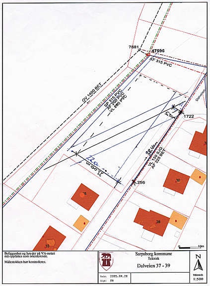
Merk at det ligger en vannledning skrått over tomten som gjør at man ikke kan plassere huset hvor som helst, men denne kan eventuelt flyttes om man ønsker. Ellers er det plass til hus både ovenfor og nedenfor ledningen.
Ved salg, ordnes salgskontrakt gjennom megler. Salgspris er eksklusiv omkostninger som dokumentavgift, tinglysningsgebyr o.l. Ved kjøp av fast eiendom, skal 10% av kjøpesummen innbetales ved kontrakts-underskrift.
Bud ønskes!
Ved salg, ordnes salgskontrakt gjennom megler. Salgspris er eksklusiv omkostninger som dokumentavgift, tinglysningsgebyr o.l. Ved kjøp av fast eiendom, skal 10% av kjøpesummen innbetales ved kontrakts-underskrift.
Bud ønskes!
Regulering
Bolig
NB: Knappen for å vise hele beskrivelsen har kun en visuell effekt.
NB: Knappen for å vise hele beskrivelsen har kun en visuell effekt.
Nærområdet
Annonsene kan være mangelfulle i forhold til lovpålagt opplysningsplikt. Før bindende avtale inngås oppfordres interessenter til å innhente komplett informasjon fra meglerforetaket, selger eller utleier.




