Bildegalleri

fasader syd og vest
Inaktiv
NB Ny pris!! - Byggeklar boligtomt på Berg . Sjøutsikt - inntil friareal.
Prisantydning800 000 kr
Nøkkelinfo
Fasiliteter
Bilvei frem
Utsikt
Turterreng
Visning
Ta kontakt for å avtale visning.Adkomst
Bergvollveien er privat vei, og det leies inn brøyting i felleskap om vinteren.
Kostnaden er inklusive i fellesutgifter.
Kostnaden er inklusive i fellesutgifter.
Beliggenhet
Vi reduserer prisen på tomten med kr 400.000. Råtomtepris kr 700.000,-.Tomten ligger flott til på byggefeltet Bergvoll som består av 11 boliger.
Den ligger ut mot friareal med lav bjørkeskog, og fra terrassen som er tilliggende stuen i 2 etasje, er det flott sjøutsikt. Sol fra tidlig morgen til sen kveld.
Det forligger element-tilbud på huset til rundt 1 mill. ferdig oppført.
Da er ikke medtatt eletriker, rørlegger, grunnarbeidene inkl. støpingen, og innvendige overflatearbeider og innvendige skap,kjøkken, trapp (parkett,flis,maling,membran).En slik leveranse må vurderes opp mot å få norske snekkere å sette opp hele huset. Stipulert byggetid 4 måneder, Stipulert kostpris på bygging 2,2 -2,5 mill.
Den ligger ut mot friareal med lav bjørkeskog, og fra terrassen som er tilliggende stuen i 2 etasje, er det flott sjøutsikt. Sol fra tidlig morgen til sen kveld.
Det forligger element-tilbud på huset til rundt 1 mill. ferdig oppført.
Da er ikke medtatt eletriker, rørlegger, grunnarbeidene inkl. støpingen, og innvendige overflatearbeider og innvendige skap,kjøkken, trapp (parkett,flis,maling,membran).En slik leveranse må vurderes opp mot å få norske snekkere å sette opp hele huset. Stipulert byggetid 4 måneder, Stipulert kostpris på bygging 2,2 -2,5 mill.
Beskaffenhet
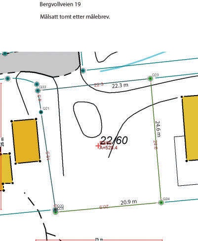
Tomteprisen på kr 900 000 inkluderer Kr 200.000 for privat tilknytning til vei,vann og avløp, samt medeierskap i felles lekeplass. (Altså ingen ytterligere kostnader vedrørende tilknytningsavgifter). Det er i tillegg svært rimelige årsavgifter for vann og avløp. Felleskostnader i året for fellesanlegg (vann/avløp, vei og brøyting) og er ca. kr 6.000 i året, under 1/2 part av vanlig kommunal avgift. Det ligger vann og avløpsledninger i tomtegrensen. Det er også fine lekeområder ellers. Tomten er flat og lettbebyggelig, som har betydning for byggekostnadene. Det foreligger byggetillatelse på bolig på 168 BTA + garasje med stor utebod.
Boligen består av 2. etasje: stue/kjøkken på 55 m2, 1 sov,WC/dusj og bod.
1. etasje: stor VF/hall, 3 soverom, stort bad og vaskerom. Det er utarbeidet ekstra planforslag.
Boligen består av 2. etasje: stue/kjøkken på 55 m2, 1 sov,WC/dusj og bod.
1. etasje: stor VF/hall, 3 soverom, stort bad og vaskerom. Det er utarbeidet ekstra planforslag.
Regulering
boligformål
NB: Knappen for å vise hele beskrivelsen har kun en visuell effekt.
NB: Knappen for å vise hele beskrivelsen har kun en visuell effekt.
Nærområdet
Annonsene kan være mangelfulle i forhold til lovpålagt opplysningsplikt. Før bindende avtale inngås oppfordres interessenter til å innhente komplett informasjon fra meglerforetaket, selger eller utleier.






